Scientific illustration of Odontomachus opaculus ant - showing key identification features including head, thorax, and gaster.

Odontomachus opaculus

monogynous Non-Parasitic Queen No Gamergate
Scientific Name
Odontomachus opaculus
Tribe
Ponerini
Subfamily
Ponerinae
Author
Viehmeyer, 1912
Distribution
Found in 2 countries
AI Identifiable
try →

Odontomachus opaculus Overview

Odontomachus opaculus is an ant species of the genus Odontomachus. It is primarily documented in 2 countries , including Indonesia, Papua New Guinea. Detailed taxonomic data and occurrence records can be further explored via authoritative databases such as AntWeb or the Global Biodiversity Information Facility (GBIF).

Loading distribution map...

Status by country, from Kass et al. 2022 & Wong et al. 2023

Native Invasive Introduced (indoor) Intercepted Unknown
2000 - 2026

Odontomachus opaculus

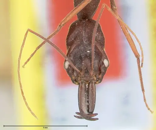
Odontomachus opaculus is a trap-jaw ant species found throughout New Guinea, including Papua New Guinea and Indonesian Irian Jaya. Workers are typical of the genus with large, powerful mandibles capable of snapping shut at extreme speeds, a hunting mechanism that gives them their common name. This species belongs to the Odontomachus saevissimus species group, which contains five species distributed across the Moluccas to Solomon Islands region. The original description dates to 1912 when it was named as a subspecies of Odontomachus imperator, but it was raised to full species status in 1959. Workers are dark in coloration with the characteristic trap-jaw morphology, though exact measurements are not documented in available literature [1][2].

These ants inhabit the tropical forests of New Guinea where they nest in the forest floor. As predatory trap-jaw ants, they use their powerful mandibles to capture prey rather than relying on stingers. The genus Odontomachus is known for their colony structure and hunting behaviors, though specific details for O. opaculus remain poorly documented in scientific literature.

Quick Summary

  • Difficulty: Medium
  • Origin & Habitat: New Guinea region including Papua New Guinea and Irian Jaya, Indonesia. Found at elevations around 640m in the Torricelli Mountains. Inhabits tropical forest floor environments [1][3].
  • Colony Type: Colony structure is unconfirmed. Based on typical genus patterns, likely monogyne (single queen) colonies. No data on ergatoid replacement reproductives for this species.
    • Colony: Monogyne
    • Founding: Claustral
  • Size & Growth:
    • Queen: Estimated 12-15mm based on typical Odontomachus queen size range (genus estimate)
    • Worker: Estimated 8-12mm based on typical Odontomachus worker size range (genus estimate)
    • Colony: Likely moderate colonies of several hundred workers based on genus patterns (estimated)
    • Growth: Moderate, typical for tropical Ponerinae (estimated)
    • Development: Estimated 6-10 weeks at tropical temperatures based on related Odontomachus species (inferred from genus patterns) (Development time is inferred from related species in the genus. Warmer temperatures within their range will accelerate development.)
  • Antkeeping:
    • Temperature: Keep at 24-28°C. These are tropical ants from New Guinea, so warmth is essential. A heating cable on one side of the nest creates a gradient allowing workers to self-regulate. Room temperature may be sufficient if your home stays in the low-mid 20s°C.
    • Humidity: High humidity of 70-85% mimics their tropical forest floor habitat. Keep the nest substrate consistently moist but not waterlogged. Provide a water source like a test tube with cotton. Mist occasionally but rely on substrate moisture rather than fixed schedules.
    • Diapause: No, these are tropical ants that do not experience cold winters. They remain active year-round. Do not hibernate this species.
    • Nesting: In captivity, they do well in Y-tong (AAC), plaster, or naturalistic setups with deep soil. They prefer dark, humid nest chambers. Because of their larger size compared to many ants, provide appropriately scaled chambers. Avoid overly dry or bright conditions.
  • Behavior: Trap-jaw ants are active predators with powerful mandibles they use to snap shut on prey. Workers are aggressive when defending the colony and can deliver a painful sting. They are primarily nocturnal or crepuscular foragers, hunting small insects and arthropods on the forest floor. Escape prevention should be good, while not the smallest ants, they are agile and determined. Their large mandibles can pry open gaps in poorly sealed setups. They may be defensive and more likely to sting than many common ant species, so handle with caution.
  • Common Issues: tropical humidity requirements mean mold can be a problem in enclosed nests, ensure adequate ventilation, their predatory nature means they need live prey, failure to provide protein sources leads to colony decline, sting pain is significant compared to many ants, use caution when working with colonies, slow founding phase, queens can take months to raise first workers, leading to impatient keepers abandoning colonies, escape artists despite size, their determination and body shape allows them to find gaps in setups

Housing and Setup

Odontomachus opaculus does well in standard ant keeping setups that maintain high humidity. Y-tong (acrylic) nests work well because they allow you to monitor the colony while maintaining dark conditions that these ants prefer. Plaster nests are also suitable as they hold moisture well. The nest should have chambers sized appropriately for their worker size, not too cramped but not excessively large either. An outworld for foraging is essential, connected to the nest via tubing. Use a water test tube as a hydration source. Escape prevention should be taken seriously, these ants are strong and will find any gap in lids or connections. Apply fluon to the rim of the outworld and ensure all connections are secure.

Feeding and Diet

As predatory trap-jaw ants, their primary diet should be live small insects and arthropods. Offer small crickets, mealworms, fruit flies, and other appropriately sized prey items. They will accept dead prey as well, but the movement triggers their hunting response. Beyond protein, they can accept sugar sources like honey or sugar water, some keepers report success with sweet liquids, though they are primarily predatory. Feed protein prey 2-3 times per week, with sugar water available constantly. Remove uneaten prey after 24-48 hours to prevent mold. The key is variety, offering different types of small insects keeps the colony interested and ensures balanced nutrition.

Temperature and Seasonal Care

These tropical ants require warm conditions year-round. Maintain temperatures between 24-28°C for optimal colony activity and brood development. They are from New Guinea's tropical forests and do not tolerate cool temperatures, avoid anything below 20°C. A heating cable placed on one end of the nest creates a temperature gradient that workers can use to self-regulate. Place the heating on TOP of the nest, not underneath, to prevent drying out the substrate. There is no hibernation requirement for this species. In winter, if your room temperature drops, you may need to use a small heat mat or keep them in a warmer room. Cold temperatures can weaken and eventually kill colonies.

Behavior and Defense

Odontomachus ants are named for their trap-jaw mechanism, their mandibles can snap shut at extreme speeds to capture prey. This also makes them capable defenders. Workers are aggressive when the colony is disturbed and will readily sting. The sting of trap-jaw ants is reported to be painful, comparable to a bee sting. When working with this species, move slowly and avoid disturbing the nest unnecessarily. They are primarily nocturnal in the wild, so expect most foraging activity to occur in evening hours. Workers hunt alone, using their excellent vision to spot prey rather than recruiting through chemical trails like some ant species.

Colony Founding

Colony founding for this species has not been directly documented, but based on genus patterns, it is likely claustral. The queen seals herself in a small chamber and raises the first brood alone, using stored fat reserves for energy. This founding phase can take several months, queens may take 6-10 weeks just to produce their first workers (nanitics), and the colony grows slowly from there. During founding, the queen needs complete darkness and stable humidity. Do not disturb a founding queen or check on her frequently, this causes stress that can lead to colony failure. Wait until you see workers before offering food.

Frequently Asked Questions

How long does it take for Odontomachus opaculus to produce first workers?

Based on related species, expect 6-10 weeks from egg to first worker at optimal temperatures (24-28°C). The founding queen will seal herself in and raise the first brood alone. This is a slow process, be patient and do not disturb the founding chamber.

Do Odontomachus opaculus ants sting?

Yes, they can and will sting. Their sting is reported to be painful, similar to a bee sting. They are more defensive than many common ant species. Handle with caution and avoid disturbing the colony unnecessarily.

What do I feed Odontomachus opaculus?

They are predatory ants that need live small insects like crickets, mealworms, and fruit flies. Offer protein prey 2-3 times per week. They may also accept sugar water or honey. Remove uneaten prey after 24-48 hours.

Can I keep multiple queens together?

This has not been documented for this specific species. Based on typical genus patterns, single-queen colonies are most likely. Combining unrelated queens is not recommended without evidence they can coexist.

Do they need hibernation?

No. These are tropical ants from New Guinea and do not hibernate. Keep them warm year-round at 24-28°C. Cold temperatures can harm or kill the colony.

What humidity level do they need?

High humidity of 70-85% is ideal. These are forest floor ants from tropical environments. Keep the nest substrate consistently moist but not waterlogged. A water tube for drinking access is also important.

Are Odontomachus opaculus good for beginners?

They are considered medium difficulty. While rewarding, they require more specific conditions (high humidity, warmth, live prey) than easier species. They also have a painful sting. Beginners may want to start with more forgiving species first.

How big do colonies get?

Based on typical genus patterns, colonies likely reach several hundred workers. Growth is moderate, expect several months to a year before you have a substantial colony.

When should I move them to a formicarium?

Keep founding colonies in a simple setup (test tube or small container) until you see 10-20 workers. Moving too early stresses the colony. Once established, they can be moved to a proper nest.

Why are my ants dying during founding?

Common causes include: disturbance (checking too often), too dry conditions, temperatures below 24°C, or mold from overwatering. Ensure the queen has dark, humid, warm conditions and is not disturbed for the first several months.

References

Creative Commons License

This caresheet is licensed under CC BY-SA 4.0 .

Literature

Loading...

Loading products...