Scientific illustration of Lasius platythorax ant - showing key identification features including head, thorax, and gaster.

Lasius platythorax

monogynous Non-Parasitic Queen No Gamergate
Scientific Name
Lasius platythorax
Tribe
Lasiini
Subfamily
Formicinae
Author
Seifert, 1991
Distribution
Found in 14 countries
Nuptial Flight
from June to July, peaking in July
AI Identifiable
try →

Lasius platythorax Overview

Lasius platythorax is an ant species of the genus Lasius. It is primarily documented in 14 countries , including Belgium, Switzerland, Germany. Detailed taxonomic data and occurrence records can be further explored via authoritative databases such as AntWeb or the Global Biodiversity Information Facility (GBIF).

The nuptial flight of Lasius platythorax is a significant biological event, typically occurring from June to July, peaking in July. During this time, winged queens and males leave the nest to mate and establish new colonies.

Loading distribution map...

Status by country, from Kass et al. 2022 & Wong et al. 2023

Native Invasive Introduced (indoor) Intercepted Unknown
2000 - 2026

Lasius platythorax

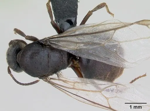
Lasius platythorax is a small to medium-sized ant native across the Palearctic region, from Western Europe through Central Europe to Western Siberia [1]. Workers measure 3-5mm and queens 8-11mm, with a dark brown to black-brown body color [2]. This species was only recognized as separate from the common black garden ant (Lasius niger) in 1991,making it one of the more recently described ant species in Europe [3]. The two species look very similar, but L. platythorax has distinctly longer, more numerous hairs on its body and prefers much more humid, shaded habitats [4].

What makes this species special is its strong preference for forest environments and moist habitats. Unlike its cousin L. niger, which thrives in gardens and urban areas, L. platythorax almost exclusively inhabits woodlands, bogs, and fens [5]. It builds nests in rotting wood, under stones, and in mossy tussocks rather than constructing the familiar soil mounds that L. niger builds [5]. This species is also notably aggressive when its nest is disturbed, it bites strongly and will defend its colony vigorously [6].

Quick Summary

  • Difficulty: Easy
  • Origin & Habitat: Palearctic region, from Western Europe east to Western Siberia, found in forests, bogs, fens, and moist grasslands [1][5]. Prefers humid, shaded environments and avoids open, dry, or human-altered habitats [5][7].
  • Colony Type: Monogynous colonies (single queen) with documented worker replacement reproductives [8]. Colonies can contain up to 10,000 workers [9]. Polydomous nesting (multiple nest sites connected) has been reported in some populations [2].
    • Colony: Monogyne
    • Founding: Claustral, Pleometrosis
  • Size & Growth:
    • Queen: 8-11 mm [2]
    • Worker: 3-5 mm [2][9]
    • Colony: Up to 10,000 workers [9]
    • Growth: Moderate
    • Development: 6-10 weeks (estimated based on related Lasius species) (Development time is temperature-dependent. Larvae can overwinter in all stages [10].)
  • Antkeeping:
    • Temperature: Keep at 18-22°C. This is a cool-tolerant forest species that prefers temperatures below 25°C, in the wild they thrive in forest soils with mean temperatures of 10-15°C and maximums under 20°C [11]. Avoid overheating the nest.
    • Humidity: High humidity required. Keep the nest substrate consistently moist but not waterlogged. This species naturally inhabits damp forest floors and wetlands, drying out is a major threat [5]. Provide a water source and mist occasionally.
    • Diapause: Yes, requires winter hibernation. In temperate regions, colonies enter dormancy from roughly October/November through March/April. Keep at 5-10°C during this period, similar to outdoor temperatures in their natural range [12].
    • Nesting: Best kept in setups that mimic their natural dead-wood nesting preferences. Y-tong (AAC) nests, plaster nests, or naturalistic setups with rotting wood pieces work well. They do not build soil mounds. Provide access to moist substrate and avoid dry, heated enclosures [5][6].
  • Behavior: Lasius platythorax is an aggressive defender of its nest and will bite strongly if threatened [6]. Workers are active foragers that hunt small insects and tend aphids for honeydew, they form well-defined foraging trails [13]. They are primarily nocturnal foragers in some regions, tending aphids at night [14]. This species is not a good escape artist compared to smaller ants, but standard escape prevention (fluon on test tube rims) is still recommended. They are generally peaceful toward other ant species when foraging but will defend their nest aggressively [14].
  • Common Issues: drying out is the biggest threat, these ants need consistently moist conditions, overheating can kill colonies, keep away from direct heat sources above 25°C, wild-caught colonies may carry parasites that cause colony collapse, confusion with L. niger means some keepers may accidentally keep the wrong species, verify identification by habitat preference, queens can be killed by workers during nuptial flight preparation if stressed, handle gently during colony founding
Nuptial Flight Activity Analysis 78 observations
Jan
Feb
Mar
Apr
May
13
Jun
38
Jul
Aug
Sep
Oct
Nov
Dec

Lasius platythorax shows a June to July flight window. Peak activity occurs in July, with nuptial flights distributed across 2 months.

Flight Activity by Hour 78 observations
00:00
01:00
02:00
03:00
04:00
05:00
06:00
07:00
08:00
09:00
10:00
11:00
13
12:00
13:00
16
14:00
7
15:00
5
16:00
14
17:00
6
18:00
6
19:00
20:00
21:00
22:00
3
23:00

Lasius platythorax nuptial flight activity peaks around 14:00 during the afternoon. Activity is spread across a 12-hour window (12:00–23:00). A secondary activity peak occurs around 17:00. Times may be influenced by human observation patterns.

Housing and Nest Setup

Lasius platythorax requires a setup that provides constant moisture and avoids overheating. Test tube setups work for founding colonies, fill one-third with water and plug with cotton, providing a dark area for the queen. For established colonies, Y-tong (AAC) nests or plaster nests with water reservoirs work well because they allow you to maintain humidity [5]. Naturalistic setups with a layer of moist soil/peat mix and pieces of rotting wood simulate their natural dead-wood nesting sites. Avoid fully artificial dry nests, this species will struggle and may die. Room temperature (18-22°C) is ideal, they do not need heating unless your room drops below 15°C. Place the nest in a shaded area away from direct sunlight.

Feeding and Diet

Like most Lasius species, these ants are omnivores with a strong sweet tooth. They readily accept sugar water, honey, or diluted maple syrup as their primary energy source. For protein, offer small insects like fruit flies, small crickets, or frozen bloodworms. They are also avid aphid farmers, if you keep them in a naturalistic setup with live plants, they'll tend aphids and collect honeydew [14]. Feed sugar sources continuously (a cotton ball with diluted honey or sugar water) and protein 2-3 times per week. Remove uneaten protein after 24 hours to prevent mold. Workers will store honeydew in their social stomachs and share with the colony.

Temperature and Seasonal Care

This is a cool-temperate species that naturally inhabits forest floors with relatively low soil temperatures. Keep the nest area between 18-22°C year-round. They can tolerate brief periods cooler or warmer, but prolonged temperatures above 25°C are harmful. In autumn (around October), reduce temperature gradually to initiate hibernation. Provide a winter rest period of 3-4 months at 5-10°C, a basement, unheated room, or refrigerator (not freezer) works well [12]. Do not feed during hibernation but keep the water tube filled so they don't dry out. Resume normal temperatures and feeding in spring.

Colony Founding and Growth

Newly mated queens found colonies independently (claustral founding). After mating during nuptial flights (June-August), the queen seals herself into a small chamber in soil, rotting wood, or under bark [14]. She lives entirely on her stored fat reserves while laying eggs and raising the first workers (nanitics). This stage takes 4-8 weeks depending on temperature. Once the first workers emerge, they take over foraging and the colony grows steadily. Growth rate is moderate, expect 2-3 years to reach several hundred workers, and 5+ years to reach thousands. Mature colonies can live for decades with the queen lasting 15-20 years.

Identification and Distinguishing from Lasius niger

Lasius platythorax was only separated from Lasius niger in 1991,so these two species are often confused [3]. The key differences: L. platythorax has longer, more numerous standing hairs on its body (especially on the clypeus and scapes), prefers humid forest habitats, and nests in dead wood rather than building soil mounds. L. niger prefers dry, open, often urban habitats and builds characteristic earth mounds. If you collected a queen from a forest or wetland area, it's likely L. platythorax, from a garden or sidewalk crack, it's likely L. niger. Under magnification, L. platythorax workers have sparser clypeal pubescence with longer gaps between hairs [4].

Common Problems and Solutions

The biggest killer of Lasius platythorax in captivity is drying out. Their natural habitat is constantly moist forest floor, a dry test tube or nest will kill them quickly. Always provide a water source and check substrate moisture weekly. Overheating is the second major issue, keep them away from windows with direct sun and avoid heat mats unless your room is very cold. If workers are clustering outside the nest area, the nest is likely too dry or too hot. Another problem is stress during founding, newly claustral queens are very vulnerable and should be kept completely dark and undisturbed for the first 4-6 weeks. Finally, ensure you're actually keeping L. platythorax and not the similar L. niger, they have very different care requirements. [5][6][12]

Frequently Asked Questions

Can I keep Lasius platythorax in a test tube?

Yes, test tubes work well for founding colonies. Fill one-third with water, add a cotton plug as a barrier, and place the queen in the dark section. Keep the tube horizontal so the queen can move away from the water. For established colonies, transfer to a more spacious setup like a Y-tong nest or naturalistic terrarium.

How long until first workers appear?

Expect 4-8 weeks from egg to first worker (nanitics) at room temperature (20-22°C). The exact time depends on temperature, cooler conditions slow development. The queen will lay eggs, which hatch into larvae, pupate, and emerge as tiny workers.

What makes Lasius platythorax different from Lasius niger?

L. platythorax prefers humid forest habitats and nests in dead wood, while L. niger prefers dry, open, often urban areas and builds soil mounds. L. platythorax has longer body hairs and is slightly darker. In captivity, L. platythorax needs higher humidity and cooler temperatures than L. niger.

Do they need hibernation?

Yes, they require a winter rest period. In temperate climates, reduce temperature to 5-10°C from roughly October/November through March/April. Keep them in a cool basement, unheated room, or the refrigerator (not freezer). Do not feed during hibernation but ensure water is available.

Are Lasius platythorax good for beginners?

They are moderately beginner-friendly once you understand their humidity requirements. They are not as forgiving as L. niger, which tolerates drier conditions. If you can maintain consistent moisture and provide a cool environment, they are rewarding colonies to keep. They are not as aggressive or difficult as some species.

How big do colonies get?

Mature colonies can reach 5,000-10,000 workers over several years [9]. The queen can live 15-20 years, so colonies can become massive over time with proper care.

Why are my ants dying?

The most likely causes are: 1) drying out, check water supply and substrate moisture,2) overheating, move to a cooler location away from direct heat,3) stress during founding, keep newly-caught queens completely undisturbed for 4-6 weeks,4) wrong species identification, verify you have L. platythorax and not L. niger which has different care needs.

Can I keep multiple queens together?

No, Lasius platythorax is monogynous (single queen per colony). Unlike some ants that can have multiple queens, these colonies will fight if you try to introduce an additional queen. Only one queen per colony.

What do they eat?

They are omnivores. Primary foods: sugar water/honey/honeydew (constant supply), and protein sources like small insects (fruit flies, bloodworms, small crickets) offered 2-3 times weekly. They will also tend aphids if given access to plants.

References

Creative Commons License

This caresheet is licensed under CC BY-SA 4.0 .

Literature

Loading...

Loading products...