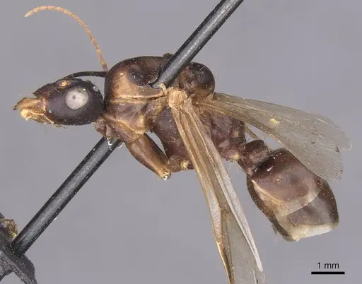
Scientific illustration of Camponotus foleyi ant - showing key identification features including head, thorax, and gaster.

Camponotus foleyi

monogynous Non-Parasitic Queen No Gamergate
Scientific Name
Camponotus foleyi
Subgenus
Tanaemyrmex
Tribe
Camponotini
Subfamily
Formicinae
Author
Santschi, 1939
Distribution
Found in 2 countries
AI Identifiable
try →

Camponotus foleyi Overview

Camponotus foleyi is an ant species of the genus Camponotus. It is primarily documented in 2 countries , including Algeria, Libya. Detailed taxonomic data and occurrence records can be further explored via authoritative databases such as AntWeb or the Global Biodiversity Information Facility (GBIF).

Loading distribution map...

Status by country, from Kass et al. 2022 & Wong et al. 2023

Native Invasive Introduced (indoor) Intercepted Unknown
2000 - 2026

Camponotus foleyi

Camponotus foleyi is a large ant species native to the Sahara Desert region of Algeria, particularly the Tassili des Ajjer mountains. Workers are impressively large, reaching over 17mm in length, making them the largest ants found in the Sahara [1]. They belong to the Formicinae subfamily and have the typical robust Camponotus body shape. The species was originally described as a subspecies of Camponotus compressus but was later raised to full species status [2].

This species is well-adapted to harsh desert conditions, nesting in shallow cavities that remain open to the air. Unlike many desert ants that are strictly nocturnal foragers, C. foleyi workers have been observed actively foraging at night when temperatures drop [1]. Their larvae are carnivorous and spin cocoons, which is relatively unusual among Camponotus species [3].

Quick Summary

  • Difficulty: Medium
  • Origin & Habitat: Algeria, specifically the Tassili des Ajjer mountain range and surrounding Sahara regions. They inhabit arid to extremely arid environments, nesting in various substrates including clay, sandstone, and sand at elevations between 760-1800m [1][4].
  • Colony Type: Monogyne (single-queen) colonies. Queens are large, measuring around 16.5mm based on a documented dealated female [1]. The colony structure follows typical Camponotus patterns with major and minor workers.
    • Colony: Monogyne
    • Founding: Claustral
  • Size & Growth:
    • Queen: Approximately 16.5mm [1]
    • Worker: Workers exceed 17mm in length, making them among the largest Saharan ants [1]
    • Colony: Colony size data is limited, but as a large Camponotus species, colonies likely reach several hundred workers
    • Growth: Moderate, typical for Camponotus
    • Development: Estimated 6-8 weeks at optimal temperature based on genus patterns (Development time is inferred from typical Camponotus development. Cocoon-spinning larvae suggest a similar timeline to other Camponotus species.)
  • Antkeeping:
    • Temperature: Warm conditions required. Given their Sahara origin, keep nest area at 24-28°C with a slight gradient. Room temperature within this range is acceptable. Provide a heating cable on one side of the nest if needed.
    • Humidity: Low to moderate. These are desert-adapted ants that prefer drier conditions. Keep nest substrate slightly moist but allow it to dry between waterings. Avoid excessive humidity that can cause mold.
    • Diapause: Likely required. As a species from a temperate-to-subtropical region with seasonal variation, they probably need a winter rest period. However, exact diapause requirements are unconfirmed for this species.
    • Nesting: Large nests with spacious chambers work best. Y-tong (AAC) nests with large chambers or acrylic nests with generous space suit this species. They prefer nesting in dry, well-drained materials. Avoid overly humid setups.
  • Behavior: Generally calm and non-aggressive for a large ant species. Workers are robust and confident foragers. They are primarily nocturnal, so expect peak activity in evening and night hours. Major workers can deliver a painful sting if threatened, though they are not particularly aggressive toward keepers. Escape prevention is important given their size, use standard barriers but no special escape-proofing is needed beyond standard measures.
  • Common Issues: desert species is sensitive to excess humidity, keep conditions dry to prevent mold and fungal issues, large size requires spacious nests, cramped quarters can stress colonies and limit growth, nocturnal activity pattern means they may be less active during daytime observations, limited availability in the antkeeping hobby, this is not a common species in captivity, diapause requirements are not well-documented, monitor colony behavior during winter months

Housing and Nest Setup

Camponotus foleyi requires spacious housing due to its large worker size. A Y-tong (AAC) nest with large chambers or a spacious acrylic formicarium works well. These ants are desert-adapted and prefer drier conditions than most tropical species, keep humidity in the nest low to moderate. Use a well-drained setup with test tubes for the founding chamber. For outworld space, provide a large foraging area since these ants are active foragers. Standard escape prevention is sufficient, their large size means they cannot squeeze through typical barrier gaps like smaller ants can. [1]

Feeding and Diet

As a Camponotus species, C. foleyi is omnivorous. They accept sugar sources (honey water, sugar water) and protein foods. Their larvae are documented as carnivorous [3], so protein is essential for brood development. Offer protein sources like mealworms, crickets, or other insects. Feed a few times per week, more frequently during colony growth phases. Remove uneaten prey after 24-48 hours to prevent mold. Sugar water should be available constantly, replaced every few days.

Temperature and Seasonal Care

These Sahara-dwelling ants require warm conditions. Keep the nest area at 24-28°C, which is ideal for brood development. A heating cable on one side of the nest can create a temperature gradient if your room temperature is lower. They are adapted to extreme heat in their natural habitat but also experience cool nights, a slight temperature drop at night is natural and acceptable. Regarding diapause: as a species from a region with seasonal temperature variation, they likely need a winter rest period. However, specific diapause requirements are not well-documented for this species. If your colony shows reduced activity in winter, provide a cool period around 15-18°C for 2-3 months. [1]

Behavior and Colony Dynamics

Camponotus foleyi is a calm, impressive species to observe. Workers are large and confident, with majors easily distinguishable from minors. They are primarily nocturnal, with workers observed foraging at night in the wild [1]. This means you'll see peak activity in evening hours. Colonies develop typical Camponotus social structure with distinct worker castes. Queens are substantial at 16.5mm and can live for many years. The species is not aggressive but majors can deliver a sting if the colony is severely threatened. Their large size makes them easy to observe and handle compared to tiny ant species.

Growth and Development

Colony growth follows typical Camponotus patterns. The queen seals herself in a claustral chamber and raises the first brood alone using stored energy reserves. First workers (nanitics) are typically smaller than mature workers. Development from egg to worker takes approximately 6-8 weeks at optimal temperature, though this is estimated based on genus patterns rather than species-specific data. Cocoon-spinning behavior has been documented in larvae [3], so expect cocoons rather than naked pupae. Growth rate is moderate, not as fast as some tropical species but faster than cold-climate ants. A well-established colony can reach several hundred workers over several years.

Frequently Asked Questions

How long does it take for Camponotus foleyi to produce first workers?

Expect first workers (nanitics) to emerge in approximately 6-8 weeks after the queen lays eggs, at optimal temperature of 24-28°C. This is an estimate based on typical Camponotus development patterns, as species-specific development data is not available.

What do Camponotus foleyi ants eat?

They are omnivorous. Offer sugar water or honey constantly, and feed protein (insects like mealworms, crickets) several times per week. Their larvae are carnivorous, so protein is essential for brood development.

Are Camponotus foleyi ants aggressive?

No, they are generally calm and not aggressive toward keepers. However, major workers can sting if the colony is severely threatened. Their large size makes them easy to handle and observe.

Do Camponotus foleyi need hibernation?

Likely yes. As a species from Algeria with seasonal temperature variation, they probably need a winter rest period. However, specific diapause requirements are not well-documented. If your colony shows reduced activity in winter, provide cool conditions (15-18°C) for 2-3 months.

What size colony do Camponotus foleyi reach?

As a large Camponotus species, colonies can reach several hundred workers over several years. Exact maximum colony size is unknown, but they follow typical Camponotus growth patterns.

What temperature is best for Camponotus foleyi?

Keep nest temperature at 24-28°C. These Sahara-adapted ants prefer warm conditions. A heating cable on one side of the nest can create a gradient if needed.

Can I keep multiple Camponotus foleyi queens together?

No. This is a monogyne (single-queen) species. Multiple unrelated queens will fight. Only keep one queen per colony.

What humidity level do Camponotus foleyi need?

Low to moderate. These are desert-adapted ants that prefer drier conditions. Keep the nest substrate slightly moist but allow it to dry between waterings. Avoid excessive humidity.

Is Camponotus foleyi good for beginners?

Medium difficulty. They are rewarding to keep due to their large size and impressive appearance, but require warm, dry conditions that differ from many common tropical ant species. Not the easiest species for complete beginners, but manageable with basic antkeeping knowledge.

References

Creative Commons License

This caresheet is licensed under CC BY-SA 4.0 .

Literature

Loading...

Loading products...