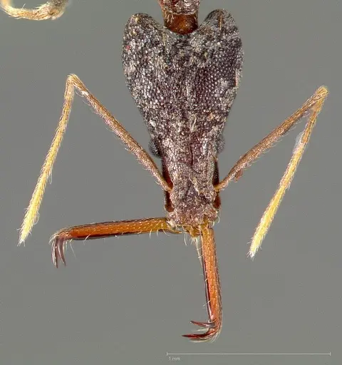
Scientific illustration of Strumigenys agra ant - showing key identification features including head, thorax, and gaster.

Strumigenys agra

Species Profile Data

Scientific Name
Strumigenys agra
Distribution
Found in 1 countries
Madagascar
AI Identifiable
try →

Strumigenys agra Overview & Identification

Strumigenys agra is an ant species of the genus Strumigenys, family Formicidae. It is primarily documented in 1 countries, including Madagascar. This species is characterized by its unique colony structure and non-parasitic founding nature.

Researching Strumigenys agra provides valuable insights into myrmecology and social social structures. Detailed taxonomic data and occurrence records can be further explored via authoritative databases such as AntWeb or the Global Biodiversity Information Facility (GBIF).

Looking specifically at the Strumigenys agra distribution, it has been documented across various regions. Understanding where Strumigenys agra lives helps in identifying seasonal patterns and habitat preferences.

Colonies of Strumigenys agra typically exhibit a unique colony structure. This species has a non-parasitic queen, meaning she can start a new colony independently.

Distribution

Highlighted regions indicate documented sightings across global databases.

1800 - 2026

No caresheet available for this species yet.

User blogs will be displayed here.

No products found

We couldn't find any shops currently selling Strumigenys agra.

Check back later or explore other similar species.


Other similar species