Scientific illustration of Prionopelta punctulata ant - showing key identification features including head, thorax, and gaster.

Prionopelta punctulata

monogynous Non-Parasitic Queen No Gamergate
Scientific Name
Prionopelta punctulata
Tribe
Amblyoponini
Subfamily
Amblyoponinae
Author
Mayr, 1866
Distribution
Found in 4 countries
AI Identifiable
try →

Prionopelta punctulata Overview

Prionopelta punctulata is an ant species of the genus Prionopelta. It is primarily documented in 4 countries , including Argentina, Brazil, Colombia. Detailed taxonomic data and occurrence records can be further explored via authoritative databases such as AntWeb or the Global Biodiversity Information Facility (GBIF).

Loading distribution map...

Status by country, from Kass et al. 2022 & Wong et al. 2023

Native Invasive Introduced (indoor) Intercepted Unknown
2000 - 2026

Prionopelta punctulata

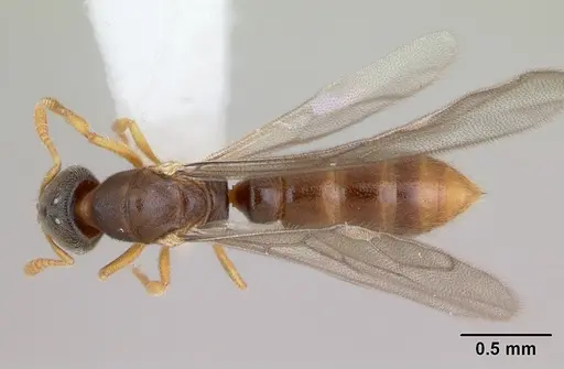
Prionopelta punctulata is a tiny, pale yellow ant belonging to the subfamily Amblyoponinae. Workers measure just 1.3-1.6mm in total length, making them one of the smaller ant species you'll encounter. Queens are slightly larger at 1.8-1.9mm. The species has 11 antennal segments and features distinctive punctulate sculpturing on its body [1]. These ants are native to the Neotropical region, found across northern Brazil, Paraguay, and northwestern Argentina, typically living in leaf litter within tropical forests at elevations between 170-876m [1].

What makes P. punctulata interesting is its cryptic lifestyle, this is a hypogaeic species, meaning it lives primarily hidden within the leaf litter and soil rather than on the surface. It's considered rare in most sampled areas and is assigned to the 'cryptic species' functional group due to its secretive nature [2][3]. The genus Prionopelta is part of the Amblyoponinae, a primitive ant subfamily that includes species with functional stings.

Quick Summary

  • Difficulty: Medium
  • Origin & Habitat: Tropical forests of the Neotropical region, Argentina, Brazil, Paraguay. Found in leaf litter at elevations of 170-876m [1].
  • Colony Type: Colony structure is not well documented in scientific literature. Based on genus patterns, likely single-queen (monogyne) colonies.
    • Colony: Monogyne
    • Founding: Semi-claustral
  • Size & Growth:
    • Queen: 1.8-1.9mm [1]
    • Worker: 1.3-1.6mm total length [1]
    • Colony: Estimated under 100 workers based on similar litter-dwelling Amblyoponinae [1]
    • Growth: Likely slow, small colonies with limited worker production
    • Development: Estimated 8-12 weeks based on typical Amblyoponinae development patterns (Development time is not directly studied for this species. Estimates based on related genera in the Amblyoponinae subfamily.)
  • Antkeeping:
    • Temperature: Keep around 22-26°C. These are tropical forest ants that prefer warm, stable conditions. A gentle gradient allowing them to choose their preferred temperature works best.
    • Humidity: High humidity is essential, think damp forest floor. Keep the nest substrate consistently moist but not waterlogged. Leaf litter ants need moisture to survive in captivity.
    • Diapause: Likely no true diapause, being a tropical species, they probably remain active year-round with slight slowing in cooler months.
    • Nesting: These tiny leaf-litter ants need a naturalistic setup that mimics forest floor conditions. A Y-tong nest with very small chambers or a test tube setup with moist substrate works well. They do best in tight, humid environments with minimal open space.
  • Behavior: P. punctulata is a cryptic, secretive ant that spends most of its time hidden in leaf litter and soil. Workers are small and pale, foraging in the dark, humid spaces between decaying vegetation. They are not aggressive and will flee from disturbance rather than attack. Escape prevention is critical, their tiny size means they can squeeze through remarkably small gaps. They likely have a functional sting but are too small to affect humans.
  • Common Issues: escape prevention is critical, their tiny 1.5mm size means they can slip through the smallest gaps without fine mesh barriers, colonies remain small and grow slowly, which can frustrate keepers expecting rapid expansion, they require high humidity at all times, drying out kills them quickly, they are rarely collected and difficult to find in the wild, making established colonies hard to acquire, their secretive nature means you rarely see them, which can be disappointing for keepers wanting active ants

Housing and Nest Setup

Prionopelta punctulata requires careful housing due to its tiny size and humidity needs. A Y-tong (acrylic) nest with very small chambers works well, or you can use a test tube setup with moist cotton providing humidity. The key is tight chambers, these ants are only 1.3-1.6mm and will get lost in spaces designed for larger ants. Use a small outworld container and ensure all connections are snug. Because they are hypogaeic (ground-dwelling), they prefer darkness and will thrive in nests that block out light. A naturalistic setup with moist leaf litter material in a small container can also work, though it makes observation difficult. Whatever setup you choose, excellent escape prevention is mandatory, use fine mesh on all ventilation holes and ensure lids fit tightly. [1]

Feeding and Diet

Like most Amblyoponinae, P. punctulata is likely predatory, feeding on tiny soil arthropods in the wild. In captivity, offer small live prey like springtails, micro-arthropods, and fruit flies. They probably accept protein sources like crushed mealworms or cricket pieces, but being so small, their prey items must be tiny. Sugar sources may be accepted occasionally, but these ants are not typically heavy honeydew consumers like some other subfamilies. Feed small amounts every few days and remove uneaten prey to prevent mold in the humid setup they require.

Temperature and Humidity

Keep your colony at 22-26°C, which mimics their tropical forest leaf-litter habitat. A heating cable on one side of the nest creates a temperature gradient so ants can choose their preferred spot. Humidity is critical, these ants desiccate quickly if conditions are too dry. Keep the nest substrate consistently moist but not waterlogged. The substrate should feel damp to the touch. Misting the outworld occasionally helps maintain humidity, but avoid getting the nest itself too wet. Good ventilation is still needed to prevent mold, but keep airflow minimal. [1]

Behavior and Observation

P. punctulata is a cryptic species, you won't see constant activity like you would with larger, more visible ants. Workers spend most of their time hidden in the nest or moving through leaf litter. They are not aggressive and will retreat from threats rather than engage. The colony will remain quite small (likely under 100 workers), so don't expect the impressive worker numbers you might get from species like Camponotus or Formica. Their secretive nature is part of their appeal, watching these tiny, pale workers navigate their miniature world is a unique experience. Be patient with their slow growth and limited activity. [2]

Colony Establishment

Established colonies of P. punctulata are rarely available because they are difficult to find and collect in the wild. If you obtain a queen or colony, understand that growth will be slow. Queens are 1.8-1.9mm and should be housed in a small setup with high humidity from the start. If the founding queen is semi-claustral (which is likely for Amblyoponinae), she may need access to small prey items during the founding stage. Even if claustral, offering occasional tiny prey items is beneficial. First workers (nanitics) will be very small and the colony will remain modest in size for its first year or more. [1]

Frequently Asked Questions

How long does it take for Prionopelta punctulata to produce first workers?

Estimated 8-12 weeks from egg to first worker based on typical Amblyoponinae development patterns. This is not directly studied for this species, so actual timing may vary. Growth is slow and colonies remain small.

What do Prionopelta punctulata ants eat?

They are predatory and likely eat tiny soil arthropods. In captivity, offer small live prey like springtails, fruit flies, and micro-arthropods. They may accept small protein pieces like crushed mealworms. Sugar sources may be occasionally accepted but are not a primary food source.

Are Prionopelta punctulata good for beginners?

No, they are not ideal for beginners. Their tiny size makes housing and escape prevention challenging, they require high humidity at all times, colonies grow very slowly, and they are rarely available. They also require specific conditions that are harder to maintain than larger, more resilient species.

Do Prionopelta punctulata ants sting?

As members of the Amblyoponinae subfamily, they likely have a functional sting. However, at 1.3-1.6mm, they are far too small to penetrate human skin or cause any pain. They pose no danger to keepers.

How big do Prionopelta punctulata colonies get?

Colonies likely remain small, probably under 100 workers at maturity. This is typical for cryptic leaf-litter species that live in confined microhabitats.

What temperature do Prionopelta punctulata need?

Keep them at 22-26°C. This tropical species prefers warm, stable conditions. A gentle temperature gradient allows them to regulate their own comfort.

Do Prionopelta punctulata need hibernation?

Probably not. Being a tropical species from Brazil and Argentina, they likely remain active year-round with perhaps slight slowing during cooler months. No true diapause is required.

Why are my Prionopelta punctulata dying?

The most likely causes are: drying out (they need constant humidity), escape (their tiny size means they can slip through gaps you wouldn't notice), or starvation (they need small live prey regularly). Check your setup for any gaps and ensure the nest substrate stays moist.

Can I keep multiple Prionopelta punctulata queens together?

This has not been documented. Based on typical Amblyoponinae behavior, it is not recommended to combine unrelated queens. If you have multiple foundresses, house them separately.

When should I move Prionopelta punctulata to a formicarium?

Wait until the colony has at least 20-30 workers and the test tube setup is becoming crowded. However, given their small size and humidity needs, a well-prepared Y-tong or继续保持 test tube setup may be sufficient for the colony's entire life.

References

Creative Commons License

This caresheet is licensed under CC BY-SA 4.0 .

Literature

Loading...

Loading products...