Scientific illustration of Pogonomyrmex schmitti ant - showing key identification features including head, thorax, and gaster.

Pogonomyrmex schmitti

monogynous Non-Parasitic Queen No Gamergate
Scientific Name
Pogonomyrmex schmitti
Tribe
Pogonomyrmecini
Subfamily
Myrmicinae
Author
Forel, 1901
Distribution
Found in 2 countries
AI Identifiable
try →

Pogonomyrmex schmitti Overview

Pogonomyrmex schmitti is an ant species of the genus Pogonomyrmex. It is primarily documented in 2 countries , including Dominican Republic, Haiti. Detailed taxonomic data and occurrence records can be further explored via authoritative databases such as AntWeb or the Global Biodiversity Information Facility (GBIF).

Loading distribution map...

Status by country, from Kass et al. 2022 & Wong et al. 2023

Native Invasive Introduced (indoor) Intercepted Unknown
2000 - 2026

Pogonomyrmex schmitti

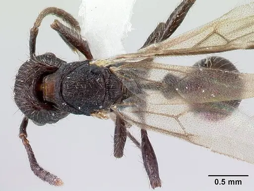
Pogonomyrmex schmitti is a tiny seed-harvesting ant endemic to Hispaniola (Dominican Republic and Haiti). Workers measure just 3.5-4mm, making them one of the smallest Pogonomyrmex species, remarkably, queens are similarly tiny and barely larger than workers [1]. They have a dark body with reddish legs, mandibles, and sometimes the petiole. The mesosoma has a distinctive rough, wrinkle-like texture (rugoreticulate), and the petiolar node is broadly fan-shaped when viewed from above [1].

This species is the most widely distributed and frequently collected Pogonomyrmex on Hispaniola, found from coastal areas up to about 600m elevation in both natural dry forests and disturbed urban areas like the Santo Domingo Botanical Garden [2][1]. Colonies are small, typically containing fewer than 50 workers, sometimes under 200 [1]. They are fast-moving foragers that harvest both seeds and insects.

Quick Summary

  • Difficulty: Medium
  • Origin & Habitat: Endemic to Hispaniola (Dominican Republic and Haiti). Found in coastal areas at 10-150m elevation, with some colonies up to 605m. Inhabits dry forest, semi-evergreen shrub, and urban areas. Nests in the ground with small crater mounds, sometimes under rocks [1][2][3].
  • Colony Type: Single-queen colonies (monogyne). Colonies are small, typically under 200 workers, often fewer than 50 [1].
    • Colony: Monogyne
    • Founding: Claustral
  • Size & Growth:
    • Queen: 0.87-1.19mm head width, similar in size to workers, unusually small for Pogonomyrmex [1][4]
    • Worker: 0.90-1.17mm head width, approximately 3.5-4mm total length [1][4]
    • Colony: Under 200 workers, often fewer than 50 [1]
    • Growth: Moderate, small colony size limits growth potential
    • Development: Estimated 6-8 weeks at optimal temperature based on genus patterns (Development time not specifically documented for this species. Based on typical Pogonomyrmex development at warm temperatures (25-30°C), expect 6-8 weeks from egg to first worker.)
  • Antkeeping:
    • Temperature: Keep at 24-30°C. This is a tropical Caribbean species that prefers warm conditions. A heating cable on one side of the nest creates a temperature gradient [1].
    • Humidity: Low to moderate. These ants inhabit dry forest environments. Keep nest substrate moderately dry to slightly moist, avoid the damp conditions preferred by many tropical ants. Provide a shallow water dish in the outworld [1][2].
    • Diapause: No, as a tropical species from Hispaniola, they do not require hibernation. Keep them warm year-round [2].
    • Nesting: Y-tong (AAC) nests work well for their small size. They also accept plaster nests or naturalistic setups with soil. Provide a dry to moderately moist substrate. They naturally nest in the ground with small crater entrances [1][2].
  • Behavior: Workers are very fast-moving and difficult to capture, they forage quickly across the substrate [4]. They are defensive and possess a potent sting. Escape prevention is important though they are not as aggressive as larger Pogonomyrmex. They harvest seeds and actively hunt small insects. Workers are active throughout the day, foraging from the nest [1][2].
  • Common Issues: small colony size means slow development, don't expect rapid growth, tropical species cannot tolerate cold, keep warm year-round, fast-moving workers are skilled escape artists, use tight-fitting barriers, sting is potent despite small size, handle with care, dry habitat requirements mean overwatering can kill colonies

Housing and Nest Setup

Pogonomyrmex schmitti is a small ant that does well in several nest types. Y-tong (AAC) nests are ideal because they provide the tight chambers and passages this tiny species needs. Plaster nests also work well, especially if you keep them on the drier side. naturalistic setups with a soil chamber mimic their natural ground-nesting behavior. The outworld should be simple, these ants don't need elaborate setups. Use a test tube setup for founding colonies, then move to a small formicarium as the colony grows. Escape prevention is important because workers are fast and can slip through small gaps. Apply Fluon or similar barrier to the rim of the nest and outworld [1][2].

Feeding and Diet

Like other Pogonomyrmex species, P. schmitti is a seed harvester. Offer a variety of seeds, grass seeds, millet, and small birdseed work well. They also actively hunt insects. Offer small live prey like fruit flies, pinhead crickets, or small mealworms. Protein is important for brood development. Provide a constant sugar source like honey water or sugar water, though they may not accept it as readily as pure protein sources. Remove uneaten prey after 24-48 hours to prevent mold. Feed every 2-3 days, adjusting based on colony size and consumption [1][2][4].

Temperature and Heating

This is a tropical Caribbean species that requires warm conditions. Keep the nest at 24-30°C, with the warmer end around 28°C being ideal for brood development. Use a heating cable or heating mat on one side of the nest to create a temperature gradient so workers can choose their preferred temperature. Place the heating on top of the nest, not underneath, to avoid drying out the substrate too quickly. Room temperature may be too cool, monitor with a thermometer. They do not require any cooling period or hibernation since they come from a tropical environment [1][2].

Humidity and Water

Pogonomyrmex schmitti inhabits dry forest environments in the Caribbean. Keep humidity low to moderate, the nest substrate should be drier than what most tropical ants prefer. Allow the substrate to dry out partially between waterings. Provide a shallow water dish in the outworld so workers can drink. Avoid overwatering, which can lead to mold and kill colonies. A small water reservoir in the test tube or nest is sufficient, they get most of their moisture from food [1][2].

Colony Development

Colonies remain small compared to many Pogonomyrmex species. Expect under 200 workers at maturity, with many colonies staying under 50 workers. The queen is unusually small, barely larger than workers, which is unusual for the genus [1]. Development from egg to worker likely takes 6-8 weeks at optimal temperature based on genus patterns. Growth will be slow because of the small colony size. Be patient with founding colonies, it can take months for the first nanitic workers to appear, and the colony will remain small even at maturity [1].

Behavior and Temperament

Workers are fast-moving and active foragers. They are defensive and will sting if threatened, the sting is surprisingly potent for such a small ant. They do not form large swarms like some Pogonomyrmex, but they will aggressively defend the nest. When foraging, they quickly search the outworld for seeds and insects. They are not climbers, so you don't need to worry about them scaling smooth surfaces as much as other species. However, their speed makes them escape risks, ensure all connections are secure [4][1].

Frequently Asked Questions

How long does it take for Pogonomyrmex schmitti to produce first workers?

Expect 6-8 weeks from egg to first worker at optimal temperature (around 28°C). Founding colonies can be slow, the queen seals herself in and raises the first brood alone. Be patient during the founding phase.

Can I keep multiple Pogonomyrmex schmitti queens together?

No. This species is monogyne, single-queen colonies. Combining unrelated queens will result in fighting. Only keep one queen per colony.

What do Pogonomyrmex schmitti eat?

They are seed harvesters that also actively hunt insects. Offer variety of small seeds (grass, millet, birdseed) and protein sources like fruit flies, small mealworms, or pinhead crickets. They may accept sugar water but protein is their primary focus.

How big do Pogonomyrmex schmitti colonies get?

Colonies remain small, typically under 200 workers, often fewer than 50. This is one of the smaller Pogonomyrmex species in terms of colony size.

Do Pogonomyrmex schmitti need hibernation?

No. As a tropical species from Hispaniola, they do not require hibernation. Keep them warm year-round at 24-30°C.

Are Pogonomyrmex schmitti good for beginners?

They are medium difficulty. Their small size, fast movement, and sting require some experience. The main challenges are escape prevention and maintaining proper warm, dry conditions. They are rewarding once established.

What is the best nest type for Pogonomyrmex schmitti?

Y-tong (AAC) nests work well because they provide appropriately sized chambers. Plaster nests or naturalistic soil setups also work. Keep the nest on the drier side to match their dry forest habitat.

Why is my Pogonomyrmex schmitti colony dying?

Common causes include: too cold (keep above 24°C), too much moisture (they prefer dry conditions), overfeeding leading to mold, or stress from disturbance during founding. Check temperature and humidity first.

Where is Pogonomyrmex schmitti native to?

They are endemic to Hispaniola, found only in the Dominican Republic and Haiti. They are the most widely distributed Pogonomyrmex species on the island.

References

Creative Commons License

This caresheet is licensed under CC BY-SA 4.0 .

Literature

Loading...

Loading products...