Platythyrea parallela
- Scientific Name
- Platythyrea parallela
- Tribe
- Platythyreini
- Subfamily
- Ponerinae
- Author
- Smith, 1859
- Distribution
- Found in 11 countries
Platythyrea parallela Overview
Platythyrea parallela is an ant species of the genus Platythyrea. It is primarily documented in 11 countries , including Australia, Christmas Island, Fiji. Detailed taxonomic data and occurrence records can be further explored via authoritative databases such as AntWeb or the Global Biodiversity Information Facility (GBIF).
Platythyrea parallela
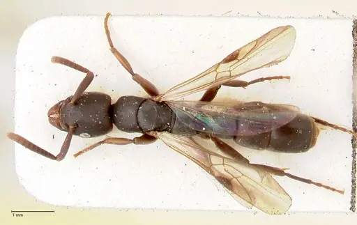
Platythyrea parallela is a small, slender ponerine ant found throughout the Indo-Pacific region, from India and Seychelles through Southeast Asia to Australia and Polynesia. Workers measure 3-4.5mm with a distinctive long, rectangular body that is mostly black with a silky pruinose (dusty) coating. Their most recognizable features are the lack of erect hairs on the body and a clypeus that extends between the antennal insertions, clearly separating them. This species belongs to the Platythyreini tribe and is part of the P. parallela species group, which has historically been confused with many synonyms due to significant size variation across its range [1][2].
What makes P. parallela unusual among ants is its obligately arboreal lifestyle. Unlike most ground-dwelling ponerines, these ants nest exclusively in tree trunks, under bark, in dead branches, or in hollow twigs, essentially anywhere with pre-existing cavities. They are diurnal foragers that become most active during midday heat, around 25°C, and are sensitive to disturbance, readily abandoning nests when threatened. Colonies are small (around 20-30 workers) and the species is non-dominant, avoiding confrontation with more aggressive ants like Crematogaster [3].
Quick Summary
- Difficulty: Medium
- Origin & Habitat: Native to the Indo-Pacific region, found across tropical Asia and Australasia including India, Sri Lanka, Thailand, Malaysia, Indonesia, Philippines, Borneo, Australia (Queensland, NSW), New Guinea, Fiji, Samoa, and French Polynesia. Inhabits tropical evergreen forests, gardens, and agricultural areas. Nests arboreally in tree cavities, under bark, and in dead branches [3][4][5][6].
- Colony Type: Likely monogyne (single queen colonies), though colony structure is not well-studied. Colonies are small, typically containing around 20-30 foragers [3]. Ergatoid (wingless) reproductive forms have been documented in the genus [7].
- Colony: Monogyne
- Founding: Claustral
- Size & Growth:
- Queen: Approximately 6mm [8], estimated from related specimens
- Worker: 3-4.5mm [1]
- Colony: Small colonies of approximately 20-30 foragers [3]
- Growth: Moderate, estimated based on typical Ponerinae development
- Development: 8-12 weeks, estimated based on related Ponerinae species (Development time is not directly studied for this species. Based on typical tropical Ponerinae patterns, expect 2-3 months from egg to first worker at warm temperatures.)
- Antkeeping:
- Temperature: Keep at 24-28°C. This is a tropical species that shows peak activity around 25°C, and observations recorded temperatures between 21-25°C during active periods [3]. A gentle gradient allowing warmer and cooler areas is ideal.
- Humidity: High humidity (70-80%). These arboreal ants naturally inhabit humid forest environments. Keep nest substrate moderately moist but allow some drying areas. Mist occasionally and provide a water tube.
- Diapause: Unlikely, as a tropical species, they probably do not require a true hibernation period. However, a slight reduction in temperature during winter months may be appropriate if kept in temperate climates.
- Nesting: Arboreal setup is essential. These ants will not do well in standard ground nests. Use a Y-tong (AAC) nest with wood elements, a naturalistic setup with cork or branches, or a plaster nest with vertical orientation. Provide dead twigs, bark pieces, or pre-made cavities for nesting material. Test tubes can work for founding but should be positioned horizontally or with a vertical orientation simulating tree conditions [3][9].
- Behavior: Platythyrea parallela is a calm, non-aggressive species that avoids conflict with other ants. Workers are diurnal foragers, most active during midday hours (07:00-19:00) when temperatures peak around 25°C. They forage solitarily on tree trunks and surrounding foliage, searching for small prey. When disturbed, they simply abandon the nest rather than defend it aggressively. They are sensitive to environmental disturbance and cannot coexist with dominant ant species [3]. Escape risk is moderate, workers are small (3-4.5mm) but not among the tiniest ants, so standard barrier methods should suffice.
- Common Issues: arboreal nesting requirement, they will not accept ground nests and may fail in test tube setups not designed for arboreal species, sensitive to disturbance, colonies may abandon nests if stressed or moved frequently, small colony size means slower population growth, which can be frustrating for impatient keepers, cannot tolerate competition, will fail if housed near aggressive ant species that can enter their enclosure, temperature sensitive, activity drops significantly below 21°C, and they prefer warm conditions around 25°C
Housing and Nest Setup
This is the most critical aspect of keeping Platythyrea parallela successfully. Unlike most ant species that nest in soil, P. parallela is obligately arboreal, they naturally nest in tree cavities, under bark, and in dead twigs [3]. In captivity, provide an arboreal-style setup such as a Y-tong (AAC) nest with wood elements, a naturalistic terrarium with cork bark and vertical branches, or a plaster/acrylic nest designed for arboreal species. The nest chamber should have some wood or bark pieces inside that the ants can use as founding sites. For founding colonies, a test tube can work if positioned horizontally or with a small piece of cork bark inside for the queen to use as a nest site. Avoid standard horizontal ground nests, these almost always result in colony failure. The outworld should include climbing structures like twigs, leaves, or mesh that simulates their natural arboreal foraging environment.
Feeding and Diet
As a Ponerine ant, P. parallela is a specialized predator. They are likely to accept small live prey such as fruit flies, small crickets, mealworms, and other appropriately-sized insects. The species is described as a specialist predator with widely spaced frontal carinae, indicating predatory specialization [10]. Offer protein-rich foods 2-3 times per week, and remove any uneaten prey after 24 hours. Sugar sources like honey water or sugar water may be accepted occasionally, but protein should form the bulk of their diet. Given their small colony size (around 20-30 workers), feed small portions appropriate to the colony. They forage solitarily, so scatter prey around the outworld rather than placing it all in one spot.
Temperature and Seasonal Care
Keep your colony warm at 24-28°C. Field observations show peak activity occurs during midday when temperatures reach around 25°C, with workers active from approximately 07:00 to 19:00 [3]. Temperature directly influences their activity levels, regression analysis showed temperature explains 39-50% of the variability in ant activity. Below around 21°C, activity drops significantly. As a tropical species, they likely do not require a true hibernation period. However, if you live in a temperate climate, a slight reduction to around 20-22°C during winter months may be appropriate, but avoid cold temperatures below 15°C. Use a heating cable or mat on one side of the nest to create a temperature gradient, placing it on top of the nest to avoid evaporating moisture.
Behavior and Colony Dynamics
Platythyrea parallela colonies are small and relatively peaceful. Workers are diurnal and forage primarily during midday hours when temperatures are warmest. They are solitary foragers, moving along tree trunks and surrounding foliage searching for prey [3]. This species is non-dominant and extremely sensitive to disturbance, when threatened, they simply abandon the nest rather than defend it aggressively. They also avoid competition from dominant ants like Crematogaster and cannot tolerate larger ant colonies nearby [3]. These behavioral traits mean you should house them in an enclosure where they won't be disturbed by other insects or frequent vibrations. Their small colony size (typically 20-30 foragers) means growth will be slower than many common species, so patience is required. The queen is likely claustral (seals herself in to raise first workers), but this has not been directly documented.
Handling and Observation
These ants are not aggressive and unlikely to sting. Their small size and docile nature make them interesting observation subjects, but their arboreal and secretive lifestyle means you'll see less activity than with ground-nesting species. They spend much of their time inside nest cavities, emerging primarily during warm midday hours to forage. Provide them with a setup that allows you to observe the nest entrance, cork bark or clear acrylic sections work well. Avoid frequent nest inspections as this species is prone to abandoning disturbed nests. When you do need to move or inspect the colony, do so gently and minimize the time the nest is exposed. Their sensitivity to disturbance is an evolved trait, in the wild, they simply relocate to a new tree cavity rather than fight. [3]
Frequently Asked Questions
Can I keep Platythyrea parallela in a test tube?
A test tube can work for founding colonies if positioned horizontally or with a small piece of cork bark inside for the queen to use as a nest site. However, this species is arboreal and will do much better in an arboreal-style setup like a Y-tong nest with wood elements or a naturalistic terrarium with branches. Standard horizontal test tubes are not ideal for long-term housing.
How long does it take for Platythyrea parallela to produce first workers?
Exact development time is unconfirmed for this species, but based on typical tropical Ponerinae development, expect 8-12 weeks from egg to first worker at warm temperatures (around 25-28°C). Colony growth is slow, mature colonies only reach around 20-30 foragers.
What temperature do Platythyrea parallela need?
Keep them at 24-28°C. This tropical species shows peak activity around 25°C, and activity drops significantly below 21°C. A heating cable on one side of the nest creates a suitable gradient.
Are Platythyrea parallela good for beginners?
No, this species is not ideal for beginners. Their arboreal nesting requirements, sensitivity to disturbance, small colony sizes, and specific temperature needs make them more challenging than species like Lasius or Camponotus. They are better suited for antkeepers with some experience who can provide appropriate arboreal housing.
What do Platythyrea parallela eat?
They are specialized predators. Feed small live insects like fruit flies, small crickets, and mealworms. Protein should form the bulk of their diet. They may occasionally accept sugar water or honey, but this should not be their primary food. Remove uneaten prey after 24 hours.
How big do Platythyrea parallela colonies get?
Colonies remain small, typically around 20-30 foragers in observed colonies. Mature colonies may reach 50-100 workers, but they are not a large colony species. This is typical for arboreal cavity-nesting ants.
Do Platythyrea parallela need hibernation?
Unlikely. As a tropical species from the Indo-Pacific region, they probably do not require a true hibernation period. A slight temperature reduction during winter may be appropriate in temperate climates, but avoid temperatures below 15°C.
Why is my Platythyrea parallela colony dying?
The most likely issues are: (1) Incorrect housing, they need arboreal setups, not ground nests, (2) Too cold, keep at 24-28°C, (3) Disturbance, they are sensitive to vibrations and may abandon nests, (4) Competition, cannot coexist with aggressive ant species. Check that your setup matches their arboreal natural history.
Can I keep multiple queens together?
Not recommended. There is no documented evidence that unrelated queens can be combined successfully. The species is likely monogyne (single queen colonies). If you acquire multiple foundress queens, house them separately.
When should I move them to a formicarium?
Move to a more elaborate setup only after the colony is well-established with multiple workers and showing consistent activity. Given their arboreal nature, consider a naturalistic setup with branches from the start rather than transitioning from test tube to formicarium.
Do Platythyrea parallela need high humidity?
Yes, they need high humidity (70-80%) to match their tropical forest origin. Keep the nest substrate moderately moist but allow some drying areas. Mist occasionally and provide a water tube. Avoid both drying out and waterlogging.
References
This caresheet is licensed under CC BY-SA 4.0 .
CASENT0102278
View on AntWebCASENT0102279
View on AntWebCASENT0102936
View on AntWebCASENT0172411
View on AntWebCASENT0178405
View on AntWebCASENT0194735
View on AntWebCASENT0260477
View on AntWebCASENT0260478
View on AntWebCASENT0260479
View on AntWebCASENT0260480
View on AntWebCASENT0634780
View on AntWebCASENT0887840
View on AntWebCASENT0900570
View on AntWebCASENT0900571
View on AntWebCASENT0903800
View on AntWebCASENT0903801
View on AntWebCASENT0903802
View on AntWebCASENT0907113
View on AntWebCASENT0907114
View on AntWebCASENT0907115
View on AntWebCASENT0907116
View on AntWebCASENT0907119
View on AntWebCASENT0907125
View on AntWebCASENT0915149
View on AntWebCASENT0915150
View on AntWebCASENT0915904
View on AntWebCASENT0916798
View on AntWebFOCOL0847
View on AntWebFOCOL0848
View on AntWebFOCOL0849
View on AntWebFOCOL0850
View on AntWebFOCOL0851
View on AntWebFOCOL0852
View on AntWebFOCOL0853
View on AntWebFOCOL0854
View on AntWebLiterature
Loading...Loading products...