Camponotus simillimus
- Scientific Name
- Camponotus simillimus
- Subgenus
- Tanaemyrmex
- Tribe
- Camponotini
- Subfamily
- Formicinae
- Author
- Smith, 1862
- Distribution
- Found in 5 countries
Camponotus simillimus Overview
Camponotus simillimus is an ant species of the genus Camponotus. It is primarily documented in 5 countries , including Colombia, Costa Rica, French Guiana. Detailed taxonomic data and occurrence records can be further explored via authoritative databases such as AntWeb or the Global Biodiversity Information Facility (GBIF).
Camponotus simillimus
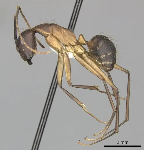
Camponotus simillimus is a Neotropical carpenter ant belonging to the maculatus species complex. Workers are medium to large, polymorphic with variable coloration, majors and females are completely black or dark reddish brown [1]. This species ranges from Panama south through Colombia, Ecuador, French Guiana, Guyana, Brazil, and into Peru [1][2]. They nest in rotten wood in tropical forest environments [3]. What makes C. simillimus particularly interesting is its exceptional desiccation resistance, testing showed they can survive 97.9 hours without water, the highest recorded among 82 ant species tested in a Panama ant community study [4]. This remarkable drought tolerance reflects their adaptation to seasonal tropical conditions.
Quick Summary
- Difficulty: Medium
- Origin & Habitat: Neotropical region spanning Panama south through Colombia, Ecuador, French Guiana, Guyana, Brazil, and Peru. They nest in rotten wood in tropical and subtropical forests [3][2].
- Colony Type: Single-queen (monogyne) colonies typical for Camponotus species. Queens founding new colonies alone after nuptial flights.
- Colony: Monogyne
- Founding: Claustral
- Size & Growth:
- Queen: Estimated 12-16mm based on genus Camponotus patterns [2]
- Worker: 5-12mm polymorphic (minor workers 5-7mm, majors 10-12mm) [1]
- Colony: Likely several thousand workers at maturity based on typical Camponotus colony development
- Growth: Moderate, typical Camponorus growth pattern, first workers (nanitics) emerge in 6-8 weeks
- Development: 6-8 weeks at optimal temperature (25-28°C) based on typical Camponotus development [2] (Development time varies with temperature, warmer conditions accelerate development)
- Antkeeping:
- Temperature: Keep at 24-28°C. They tolerate warmer tropical conditions but avoid temperatures below 20°C [4].
- Humidity: Moderate to high humidity (60-80%). Their exceptional desiccation resistance [4] means they handle drier conditions better than most ants, but nest areas should remain moist.
- Diapause: No true diapause required, being a tropical species, they do not need hibernation. Activity may slow slightly during cooler months.
- Nesting: Prefers rotten wood or cork-based nests. Accepts Y-tong (AAC), plaster, or naturalistic setups with wood fragments. Provide damp substrate but ensure good ventilation to prevent mold.
- Behavior: Generally calm and non-aggressive for a carpenter ant. Workers are active foragers that recruit nestmates to food sources in large numbers, typical 'generalist patrolling Camponotini' behavior [5]. They maintain mutualistic relationships with membracids (treehoppers) in the wild [5]. Majors can deliver a mild sting if handled roughly, but they are not particularly defensive. Escape risk is moderate, use standard barrier methods.
- Common Issues: colonies grow slowly during founding, beginners may lose patience and overfeed, causing mold issues, wild-caught colonies may have parasites that kill them in captivity, test tube setups can flood if water reservoirs are too large, their large size requires appropriately sized formicarium chambers, tropical species may struggle in air-conditioned rooms with temperatures below 20°C
Housing and Nest Preferences
Camponotus simillimus naturally nests in rotten wood [3], so they do well in cork-based formicariums, Y-tong (AAC) nests, or plaster nests with wood fragments. Provide a nest chamber sized appropriately for their medium-to-large workers, avoid chambers that are too large as this can stress founding colonies. Keep the nest substrate consistently moist but not waterlogged. Good ventilation is important to prevent mold buildup, especially given their high desiccation resistance [4]. They do not require humidity as high as rainforest species, but the nest area should not dry out completely. An outworld area with foraging space allows workers to patrol and recruit nestmates to food sources.
Feeding and Diet
As omnivorous generalists typical of the Camponotini tribe [5], they accept a wide variety of foods. Offer protein sources like mealworms, crickets, or other insects 2-3 times weekly. Sugar sources (honey water, sugar water) should be available constantly, these ants have high energy demands for their larger body size. In the wild, they maintain mutualistic relationships with membracids (treehoppers) and tend aphids for honeydew [5], so they will readily accept sweet liquids. Remove uneaten prey after 48 hours to prevent mold. Avoid overfeeding, a small portion that can be consumed within a day is sufficient for starting colonies.
Temperature and Seasonal Care
Being a tropical Neotropical species, Camponotus simillimus prefers warm conditions. Keep the nest at 24-28°C for optimal brood development. They can tolerate temperatures into the low 30s°C but avoid prolonged exposure above 35°C. Their exceptional desiccation resistance [4] means they handle brief dry periods better than most ants, but consistent warmth is more important than humidity control. No hibernation or diapause is required, these are year-round active ants. If your room temperature drops below 20°C, use a heating cable on one side of the nest to maintain warmth. Activity may naturally slow during winter months in temperate climates, but this is not a true diapause.
Colony Development and Growth
Colony founding is claustral, the queen seals herself in a small chamber and raises her first workers (nanitics) entirely on stored body reserves. First workers typically emerge after 6-8 weeks at optimal temperature [2]. These initial workers are smaller than mature workers but will begin foraging to support colony growth. Growth rate is moderate, a well-fed colony may reach several hundred workers within 1-2 years. Majors (large workers) appear as the colony matures, typically when the colony reaches 100+ workers. Colonies can eventually grow to several thousand workers. Be patient during the founding phase, overfeeding or disturbing the queen can cause colony failure.
Behavior and Temperament
Camponotus simillimus exhibits typical Camponotini behavior, workers are active foragers that patrol the outworld and recruit nestmates in large numbers when they find abundant food [5]. They are not particularly aggressive or defensive compared to some carpenter ant species. Majors can deliver a mild sting if threatened, but they generally retreat rather than attack. Workers are relatively long-lived compared to smaller ant species, which contributes to stable colony populations. They do not bore through wood in captivity like some Camponotus species, the 'carpenter ant' name refers to their natural nesting behavior in rotten wood, not structural damage. Escape prevention should be standard (Fluon on test tube rims, barrier tape on formicarium edges), their moderate size makes them capable climbers.
Frequently Asked Questions
Can I keep Camponotus simillimus in a test tube?
Yes, test tubes work well for founding colonies. Use a standard test tube setup with a water reservoir and cotton plug. Make sure the tube is darkened on the outside (wrap with tape or paper) to mimic the dark conditions of a nest chamber. Once the colony reaches 20-30 workers, consider moving to a small formicarium.
How long until first workers appear in Camponotus simillimus?
Expect first workers (nanitics) after 6-8 weeks at optimal temperature (25-28°C). This timeline varies with temperature, cooler conditions slow development significantly. The queen will remain sealed in her chamber until the first workers emerge.
What do Camponotus simillimus eat?
They are omnivorous generalists. Offer protein (insects like mealworms, crickets) 2-3 times per week and keep sugar water or honey available constantly. They readily accept sweet liquids and will recruit heavily to food sources.
Are Camponotus simillimus good for beginners?
They are a medium-difficulty species. Their tolerance for drier conditions [4] makes them more forgiving than some tropical ants, but they require warm temperatures and appropriate housing. The main challenge is their slower growth rate during founding, beginners may lose patience.
Do Camponotus simillimus need hibernation?
No, they are a tropical species and do not require hibernation. They remain active year-round when kept at warm room temperature (24-28°C). Activity may slow slightly in cooler months, but this is not a true diapause.
When should I move Camponotus simillimus to a formicarium?
Move from test tube to formicarium when the colony reaches 20-40 workers. A small Y-tong or plaster nest works well. Make the transition gradual, connect the test tube to the formicarium and allow workers to explore before moving the queen.
How big do Camponotus simillimus colonies get?
Mature colonies can reach several thousand workers over several years. They are medium-to-large carpenter ants with polymorphic workers (majors can reach 10-12mm). Growth is moderate, expect 1-2 years to reach several hundred workers.
Why is my Camponotus simillimus colony dying?
Common causes include: temperatures below 20°C (tropical species suffer in cool conditions), overfeeding causing mold, parasites from wild-caught colonies, or disturbance during founding. Check temperature first, then review feeding amounts and queen disturbance levels.
Can I keep multiple Camponotus simillimus queens together?
This species is monogyne, single-queen colonies are typical. Combining unrelated foundress queens is not recommended and likely results in fighting. Only one queen should be kept per colony.
References
This caresheet is licensed under CC BY-SA 4.0 .
CASENT0249609
View on AntWebCASENT0249611
View on AntWebCASENT0280057
View on AntWebCASENT0280058
View on AntWebCASENT0619240
View on AntWebCASENT0619241
View on AntWebCASENT0619242
View on AntWebCASENT0633453
View on AntWebCASENT0903650
View on AntWebCASENT0905254
View on AntWebCASENT0905255
View on AntWebCASENT0910018
View on AntWebCASENT0910019
View on AntWebCASENT0912041
View on AntWebCASENT0912042
View on AntWebECOFOG-IT14-0156-17
View on AntWebECOFOG-TR17-0270-03
View on AntWebINBIOCRI002280771
View on AntWebLiterature
Loading...Loading products...