Camponotus macilentus
- Scientific Name
- Camponotus macilentus
- Subgenus
- Pseudocolobopsis
- Tribe
- Camponotini
- Subfamily
- Formicinae
- Author
- Smith, 1877
- Distribution
- Found in 1 countries
Camponotus macilentus Overview
Camponotus macilentus is an ant species of the genus Camponotus. It is primarily documented in 1 countries , including Ecuador. Detailed taxonomic data and occurrence records can be further explored via authoritative databases such as AntWeb or the Global Biodiversity Information Facility (GBIF).
Camponotus macilentus
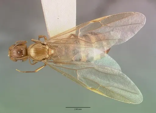
Camponotus macilentus is a nocturnal ant species endemic to the Galapagos Islands, where it was first collected by Charles Darwin in 1835. Workers are relatively small for a Camponotus species, typically measuring 5-12mm, with queens being significantly larger. This ant has a dark brown to black coloration and is known for its extremely shy temperament, when threatened, it prefers to escape rather than fight. The species has developed numerous subspecies (at least 12) across different islands of the archipelago, reflecting its adaptation to various microhabitats within the Galapagos.
Quick Summary
- Difficulty: Medium
- Origin & Habitat: Endemic to the Galapagos Islands, found on 13 islands including Santa Cruz, Floreana, Española, Isabela, and others. It inhabits dry forest areas, particularly in Scalesia forests and coastal zones, nesting under rocks and in hollow twigs [1][2].
- Colony Type: Single-queen colonies (monogyne). Colonies are relatively small compared to other Camponotus species.
- Colony: Monogyne
- Founding: Claustral
- Size & Growth:
- Queen: Estimated 12-16mm based on genus Camponotus patterns
- Worker: 5-12mm (polymorphic, major and minor workers) [1]
- Colony: Estimated several hundred workers based on typical Camponotus colony sizes
- Growth: Moderate, typical for Camponotus genus
- Development: 6-8 weeks at optimal temperature based on genus-level Camponotus development data (Development time is inferred from related Camponotus species as specific timing has not been documented for this species)
- Antkeeping:
- Temperature: Keep at 24-28°C. Being a tropical Galapagos species, they prefer warm conditions. A heating cable on one side of the nest can create a gradient if room temperature is below this range.
- Humidity: Low to moderate. In nature they inhabit mainly dry areas of the Galapagos. Keep nest substrate slightly moist but allow some drying between waterings. Avoid overly damp conditions.
- Diapause: No, being a tropical species from the Galapagos, they do not require hibernation. Maintain consistent warm temperatures year-round.
- Nesting: Prefers dry nesting conditions. In captivity, a Y-tong (AAC) nest or plaster nest works well. They nest under rocks and in hollow twigs in the wild, so provide narrow chambers and tight spaces. Avoid humid, swampy setups.
- Behavior: Extremely shy and non-aggressive. Workers are nocturnal and will quickly flee when disturbed rather than defend. They are not known to sting and pose no danger to keepers. They are escape artists due to their speed, ensure your setup has excellent escape prevention. Workers forage at night and tend honeydew-producing insects as well as visit flowers for nectar.
- Common Issues: escape prevention is critical, they are fast and will flee from open setups, dry habitat requirements mean overwatering can kill colonies, nocturnal activity means you may not see much movement during the day, wild-caught colonies from the Galapagos may have parasites, slow founding phase typical of Camponotus, patience is required
Natural History and Origin
Camponotus macilentus is a truly special species, it's endemic to the Galapagos Islands, meaning you won't find it anywhere else on Earth. First collected by Charles Darwin himself during his famous voyage in 1835,this ant has evolved into numerous subspecies across the different islands of the archipelago. The species is strongly associated with the Scalesia forests, which are often called the 'Galapagos daisies' but are actually giant trees in the sunflower family. Workers are nocturnal, foraging at night when temperatures are cooler and predators are less active. In the wild, they nest under rocks and in hollow twigs, particularly in dry branches of trees like Bursera graveolens. They feed on honeydew from scale insects and visit flowers for nectar, making them important pollinators in the Galapagos ecosystem. The species is considered uncommon and may be threatened by invasive ant species on some islands. [1][2]
Housing and Nest Setup
For this Galapagos species, keep nesting conditions on the dry side. A Y-tong (acrylic) nest or plaster nest works well, both allow you to control humidity precisely. Camponotus macilentus prefers tight, narrow chambers rather than large open spaces, so avoid oversized formicaria. Since they're nocturnal, place the nest in an area with natural light cycles so their activity patterns align with day and night. The outworld should have a water tube for drinking and sugar water, plus a protein source like crushed insects. Use a test tube setup for founding colonies, transitioning to a proper nest once the colony reaches 20-30 workers. Escape prevention is essential, these fast ants will quickly exploit any gaps in your setup.
Feeding and Diet
In the wild, Camponotus macilentus primarily feeds on honeydew from scale insects and nectar from flowers. They also prey on small insects. In captivity, offer sugar water or honey constantly, this should be the main energy source. For protein, provide small insects like fruit flies, small mealworms, or cricket pieces. Feed protein 2-3 times per week, adjusting based on colony size. Remove uneaten prey after 24-48 hours to prevent mold. Unlike some aggressive Camponotus species, these ants are quite shy and may be outcompeted for food if housed with more aggressive ant species. Fresh water should always be available. [1]
Temperature and Seasonal Care
As a tropical species from the Galapagos Islands, Camponotus macilentus does not hibernate and requires consistent warm temperatures year-round. Keep the nest area at 24-28°C (75-82°F). Room temperature is often sufficient if your home is in this range, otherwise use a heating cable placed on top of the nest (never underneath where it can dry out the nest too quickly). Avoid temperature drops below 20°C as this can slow or stop brood development. Since the Galapagos have a relatively stable climate year-round, these ants don't need seasonal temperature adjustments. Maintain the same temperature range throughout the year for optimal colony growth. [1]
Behavior and Handling
This is one of the most docile Camponotus species you can keep. When threatened, their first response is flight rather than fight, they'll quickly retreat to their nest rather than attack. They are not known to sting and pose no danger to keepers. Workers are nocturnal, so you'll see most activity in the evening and night hours. They are fast movers and excellent climbers, which makes escape prevention critical. Despite their shyness, they are curious foragers and will investigate new food sources. The colony will likely establish a clear foraging schedule once they settle into your setup. Major workers (larger ants) are typically more cautious while minors do most of the foraging. [1]
Frequently Asked Questions
Is Camponotus macilentus a good beginner ant?
This species is rated as medium difficulty. While they are docile and don't require hibernation, their nocturnal habits and specific dry habitat requirements may take some getting used to. Their slow founding phase (typical of Camponotus) also requires patience.
How long does it take for Camponotus macilentus to produce first workers?
Based on typical Camponotus development, expect 6-8 weeks from egg to first worker at optimal temperature (24-28°C). The queen will remain sealed in her founding chamber until the first workers emerge.
What temperature do Camponotus macilentus need?
Keep them at 24-28°C (75-82°F). As a tropical Galapagos species, they need consistent warmth year-round with no hibernation.
Can I keep multiple Camponotus macilentus queens together?
No. This species is monogyne, meaning colonies have a single queen. Combining unrelated queens is not recommended and would likely result in fighting.
What do Camponotus macilentus eat?
They need constant access to sugar (honey water or sugar water). For protein, offer small insects like fruit flies, small mealworms, or cricket pieces 2-3 times per week.
Are Camponotus macilentus escape artists?
Yes. They are fast-moving and will escape through tiny gaps. Use excellent escape prevention including tight-fitting lids, fluon barriers, and fine mesh on any ventilation.
Do they need hibernation?
No. Being a tropical species from the Galapagos Islands, they do not require hibernation. Maintain warm temperatures year-round.
When are Camponotus macilentus most active?
They are nocturnal, meaning they are most active at night. You will see the most foraging activity in the evening and early morning hours.
How big do Camponotus macilentus colonies get?
Based on typical Camponotus patterns and their status as an uncommon species, colonies likely reach several hundred workers. They are not among the largest Camponotus species.
References
This caresheet is licensed under CC BY-SA 4.0 .
CASENT0173216
View on AntWebCASENT0903630
View on AntWebCASENT0923537
View on AntWebCASTYPE00450-01
View on AntWebCASTYPE00450-02
View on AntWebCASTYPE00450-03
View on AntWebCASTYPE00451-01
View on AntWebCASTYPE00451-02
View on AntWebCASTYPE00451-03
View on AntWebCASTYPE00452-01
View on AntWebCASTYPE00452-02
View on AntWebCASTYPE00452-03
View on AntWebCASTYPE00453-01
View on AntWebCASTYPE00453-02
View on AntWebCASTYPE00454-01
View on AntWebCASTYPE00454-02
View on AntWebCASTYPE00454-03
View on AntWebLiterature
Loading...Loading products...