Scientific illustration of Camponotus cacicus ant - showing key identification features including head, thorax, and gaster.

Camponotus cacicus

monogynous Non-Parasitic Queen No Gamergate
Scientific Name
Camponotus cacicus
Subgenus
Tanaemyrmex
Tribe
Camponotini
Subfamily
Formicinae
Author
Emery, 1903
Distribution
Found in 4 countries
AI Identifiable
try →

Camponotus cacicus Overview

Camponotus cacicus is an ant species of the genus Camponotus. It is primarily documented in 4 countries , including Brazil, Ecuador, French Guiana. Detailed taxonomic data and occurrence records can be further explored via authoritative databases such as AntWeb or the Global Biodiversity Information Facility (GBIF).

Loading distribution map...

Status by country, from Kass et al. 2022 & Wong et al. 2023

Native Invasive Introduced (indoor) Intercepted Unknown
2000 - 2026

Camponotus cacicus

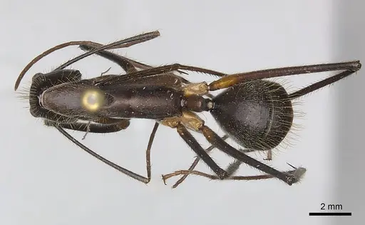
Camponotus cacicus is a large Neotropical carpenter ant found across northern South America, from Nicaragua down through Colombia, Ecuador, Peru, Brazil, and French Guiana [1]. Major workers are impressive, over 2 centimeters long, with a mostly black body and brownish legs and antennae. The entire surface is covered with stiff standing hairs, especially on the head, cheeks, antennae, and legs, giving them a somewhat fuzzy appearance. The petiole (the narrow waist section) is notably wide compared to many other Camponotus species [1]. This is a rainforest species that nests in the canopy and forages at night, forming long-lasting foraging trails that can cover around 10 square meters [2].

Quick Summary

  • Difficulty: Medium
  • Origin & Habitat: Tropical rainforest of northern South America, Colombia, Ecuador, Peru, Brazil, and French Guiana. Workers are found foraging on soil and vegetation in humid rainforest environments [1][2].
  • Colony Type: Single-queen (monogyne) colonies. Queens have not been specifically documented in founding contexts, but based on typical Camponotus patterns, they likely seal themselves in during claustral founding.
    • Colony: Monogyne
    • Founding: Claustral
  • Size & Growth:
    • Queen: Estimated 18-22mm based on genus patterns and large major worker size
    • Worker: Major workers exceed 20mm total length, minor workers significantly smaller [1]
    • Colony: Large colonies, forms extensive foraging networks in canopy [2]
    • Growth: Moderate, typical for large Camponotus species
    • Development: 6-10 weeks estimated based on genus patterns (Development time follows typical Camponotus patterns at tropical temperatures. Larger species generally take longer than smaller ones.)
  • Antkeeping:
    • Temperature: Keep around 24-28°C. Being a tropical rainforest species, they prefer warm, stable conditions. A heating cable on one side of the nest creates a gentle gradient [2].
    • Humidity: High humidity is essential, think damp rainforest floor. Keep the nest substrate consistently moist but not waterlogged. Provide a water tube for drinking access.
    • Diapause: No, as a tropical species, they do not require hibernation. However, slight temperature reductions during winter months may slow activity naturally.
    • Nesting: Large chambers suit their size. Y-tong (AAC) nests or large acrylic/formicarium setups work well. Given their canopy-nesting nature in the wild, they appreciate vertical space. Use nesting material that retains moisture well.
  • Behavior: These are relatively calm carpenter ants, not particularly aggressive but will defend if threatened. Major workers are large enough to deliver a noticeable bite. They forage primarily at night [2] and form established trails. They are not escape artists compared to tiny ants, but their size means standard barrier methods still apply. They accept sugar sources and protein, typical of Camponotus diet.
  • Common Issues: tropical humidity requirements mean drying out is a constant risk, monitor substrate moisture regularly, large colony size requires significant space, be prepared to upgrade to larger setups as the colony grows, nocturnal foraging means they may be most active when you're asleep, observe in evening hours, wild colonies can be infected with Ophiocordyceps fungus, quarantine new colonies and monitor for infection signs [3][4]

Housing and Nest Setup

Camponotus cacicus needs a spacious nest due to its large size. Major workers reach over 2 centimeters, so chambers and tunnels must be appropriately sized. Y-tong (AAC) nests work well, or large acrylic/formicarium setups with generous chamber dimensions. Since this species naturally nests in the rainforest canopy, they appreciate some vertical space in the outworld for foraging. Use a test tube setup for the founding queen, then transfer to a larger nest once the colony reaches 20-30 workers. The outworld should include substrate for foraging trails and space for the extensive trail networks they form [2]. Escape prevention is straightforward, their large size means they cannot squeeze through gaps that would allow smaller ants to escape.

Feeding and Diet

Like most Camponotus species, these ants are omnivorous. They accept sugar sources readily, honey water, sugar water, or commercial ant nectars make excellent constant food options. For protein, offer insects: mealworms, crickets, roaches, or other appropriately sized prey. Being rainforest canopy dwellers, they likely forage for honeydew and small invertebrates in the wild. Feed protein 2-3 times per week and keep sugar water constantly available. Remove uneaten prey after 24-48 hours to prevent mold. Their nocturnal foraging pattern [2] means they may prefer feeding in evening hours.

Temperature and Humidity

Tropical rainforest conditions are essential. Maintain temperatures between 24-28°C, warm and stable without significant fluctuations. A heating cable placed on part of the nest creates a temperature gradient they can choose between. Humidity should be high: keep the nest substrate consistently damp but not sitting in water. The test tube water reservoir method works well, ensure the cotton is moist but not flooding. Mist the outworld occasionally, especially if you notice workers clustering near moisture. Poor humidity leads to brood death and colony decline. [2]

Behavior and Activity Patterns

Camponotus cacicus is primarily nocturnal, workers forage at night and establish persistent trail systems that can cover approximately 10 square meters [2]. They form large colonies in the canopy [2], so expect significant colony growth over time. These ants are not particularly aggressive but major workers can deliver a firm bite if threatened. They are relatively calm for large carpenter ants. The species is known to be parasitized by Ophiocordyceps unilateralis, the famous 'zombie ant' fungus [3][4], monitor wild-caught colonies for unusual behavior that might indicate fungal infection.

Colony Development

As a large Camponotus species, expect moderate growth initially. The queen seals herself in during claustral founding (typical for Camponotus) and raises the first workers (nanitics) alone. These first workers are smaller than mature majors but still substantial. Development from egg to worker likely takes 6-10 weeks at optimal tropical temperatures. Once established, colonies grow steadily. Major workers appear as the colony expands, these are the impressive 2cm+ individuals with the distinctive hairy appearance [1]. Large colonies can become quite impressive with dozens of major workers.

Seasonal Care

Being a tropical species, Camponotus cacicus does not require hibernation. However, slight seasonal variations in activity are natural. During winter months in temperate climates, room temperature may drop slightly, this is fine as long as temperatures stay above 20°C. The colony may become less active but should remain healthy. Do not attempt to force dormancy on tropical species. If your room temperature drops significantly in winter, consider using a small heat source to maintain tropical conditions year-round.

Frequently Asked Questions

How long does it take for Camponotus cacicus to have first workers?

Expect first workers (nanitics) around 6-10 weeks after the queen lays eggs, assuming optimal temperatures around 26°C. This is typical for larger Camponotus species.

What do Camponotus cacicus ants eat?

They are omnivorous. Offer sugar water or honey constantly, and protein (insects like mealworms or crickets) 2-3 times per week. They forage at night in the wild.

Are Camponotus cacicus good for beginners?

They are medium difficulty, not the hardest but not ideal as a first ant either. Their humidity and temperature requirements are specific (tropical rainforest conditions), and their large size requires spacious housing. If you have experience with other large Camponotus species, this is a rewarding species.

How big do Camponotus cacicus colonies get?

They form large colonies, in the wild they build extensive foraging networks in the canopy covering about 10 square meters [2]. Expect thousands of workers in mature colonies.

Do Camponotus cacicus need hibernation?

No. As a tropical rainforest species from northern South America, they do not require hibernation. Keep them warm year-round at 24-28°C.

When should I move Camponotus cacicus to a formicarium?

Keep them in a test tube setup until the colony reaches 20-30 workers. At that point, upgrade to a larger Y-tong or acrylic nest with appropriately sized chambers for their large majors.

Why are my Camponotus cacicus dying?

Check humidity first, they need consistently damp conditions. Also verify temperatures are in the 24-28°C range. Wild-caught colonies may carry Ophiocordyceps fungal infection [3][4]. If you see workers acting abnormally or dying in unusual positions, this could indicate fungal infection.

Can I keep multiple Camponotus cacicus queens together?

This species is monogyne, single-queen colonies. Do not attempt to keep multiple unrelated queens together as they will fight.

What makes Camponotus cacicus different from other carpenter ants?

They are unusually hairy compared to other Camponotus species, with stiff hairs covering the head, antennae, and legs [1]. They are also strictly nocturnal and form extensive foraging trail networks in the canopy [2].

References

Creative Commons License

This caresheet is licensed under CC BY-SA 4.0 .

Literature

Loading...

Loading products...