Scientific illustration of Camponotus americanus (American Carpenter Ant) - showing key identification features including head, thorax, and gaster.

Camponotus americanus

monogynous Non-Parasitic Queen No Gamergate
Scientific Name
Camponotus americanus
Tribe
Camponotini
Subfamily
Formicinae
Author
Mayr, 1862
Common Name
American Carpenter Ant
Distribution
Found in 1 countries
Nuptial Flight
from March to May, peaking in April
AI Identifiable
try →

Camponotus americanus Overview

Camponotus americanus (commonly known as the American Carpenter Ant) is an ant species of the genus Camponotus. It is primarily documented in 1 countries , including United States of America. Detailed taxonomic data and occurrence records can be further explored via authoritative databases such as AntWeb or the Global Biodiversity Information Facility (GBIF).

The nuptial flight of Camponotus americanus is a significant biological event, typically occurring from March to May, peaking in April. During this time, winged queens and males leave the nest to mate and establish new colonies.

Loading distribution map...

Status by country, from Kass et al. 2022 & Wong et al. 2023

Native Invasive Introduced (indoor) Intercepted Unknown
2000 - 2026

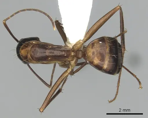
Camponotus americanus - "American Carpenter Ant"

Camponotus americanus is a large carpenter ant native to eastern North America, ranging from Ontario south to Florida and west to Texas. Workers are polymorphic, with majors reaching around 10mm and minors significantly smaller. They have a distinctive appearance with a dark reddish-brown to blackish head, medium brown mesosoma, and a lighter brown to medium brown gaster. The body is relatively shiny with sparse pubescence, and majors have erect hairs on the cheeks and malar area. Unlike most Camponotus species that nest in wood, C. americanus is unusual in that it nests primarily in soil, often under rocks or simply in a bare patch of ground [1][2].

What makes this species interesting is its unusual nesting behavior for a carpenter ant, it digs nests in clay, sandy, and rocky soils rather than excavating wood, which is rare in the subgenus Camponotus. They are forest specialists that prefer cool, shaded nest chambers and are known to tend aphids for honeydew while also preying on wood-boring beetles. They can occasionally invade homes but are not considered structural pests like some other carpenter ants [1].

Quick Summary

  • Difficulty: Medium
  • Origin & Habitat: Eastern North America (Ontario to Florida, west to Texas). Found in oak forests, oak-hickory-dogwood forests, deciduous and mixed forests, often in dense shaded areas. Nests in soil rather than wood, a unique trait among Camponotus species [1][2][3].
  • Colony Type: Monogyne (single-queen colonies). One queen per colony with strongly polymorphic worker caste (majors and minors) [4].
    • Colony: Monogyne
    • Founding: Claustral
  • Size & Growth:
    • Queen: Approximately 12-15mm (estimated based on genus patterns)
    • Worker: Majors ~10mm, minors smaller [1]
    • Colony: Large colonies, exact maximum unknown but likely several thousand workers based on genus patterns
    • Growth: Moderate, typical for large Camponotus species
    • Development: Approximately 6-8 weeks at optimal temperature (estimated based on Camponotus genus patterns) (Development time is typical for the genus, first workers (nanitics) emerge in 6-8 weeks when kept at warm room temperature. Larger majors develop more slowly than minor workers.)
  • Antkeeping:
    • Temperature: Keep at 20-24°C. This is a forest species that prefers cooler nest chambers, research shows they occupy relatively cool chambers even in warm sites [5]. Avoid overheating.
    • Humidity: Moderate humidity. Keep nest substrate moist but not waterlogged. They nest in soil so the substrate should hold some moisture, with drier areas available for the ants to regulate.
    • Diapause: Yes, requires winter hibernation. Sexuals (alates) are produced in summer and overwinter as adults in the nest, with nuptial flights in late spring [6]. Provide a cool period around 10-15°C for 2-3 months during winter.
    • Nesting: Soil-nesting species, unlike most Camponotus. Use a naturalistic setup with soil or a plaster/acrylic nest with moist substrate. They prefer multiple chambers connected by tunnels and often have multiple nest entrances. A Y-tong or test tube setup with soil substrate works well. Keep nest dark and shaded.
  • Behavior: Generally calm and non-aggressive compared to some carpenter ants. Workers are fast-moving and foragers are active during the day (09:00-20:00) but they are also reported as nocturnal omnivores. They spray formic acid when threatened. They are forest specialists and prefer shaded, cool nest conditions. Escape risk is moderate, use standard barrier methods but they're not particularly escape-prone like tiny species.
  • Common Issues: colonies often fail during hibernation if substrate is too wet or temperatures fluctuate too much, wild-caught colonies may have parasites including the zombie fungus Ophiocordyceps which can infect and kill colonies, slow growth in early stages means beginners may overfeed or disturb founding queens, soil nests can mold if ventilation is poor, ensure adequate airflow, queens are claustral but may abandon nests if disturbed during founding, keep founding colonies completely dark and undisturbed
Nuptial Flight Activity Analysis 624 observations
Jan
Feb
79
Mar
217
Apr
139
May
Jun
Jul
Aug
Sep
Oct
Nov
Dec

Camponotus americanus follows a consistent seasonal pattern with peak activity in April. The flight window runs from March to May, providing several months of opportunity for observations.

Flight Activity by Hour 624 observations
00:00
01:00
02:00
03:00
04:00
05:00
06:00
07:00
12
08:00
22
09:00
31
10:00
45
11:00
37
12:00
48
13:00
44
14:00
59
15:00
36
16:00
71
17:00
60
18:00
41
19:00
30
20:00
17
21:00
15
22:00
23:00

Camponotus americanus nuptial flight activity peaks around 17:00 during the afternoon. Activity is spread across a 14-hour window (09:00–22:00). Times may be influenced by human observation patterns.

Nest Preferences and Housing

Camponotus americanus is unusual among carpenter ants in that it nests primarily in soil rather than wood. In the wild, they create nests in red or brown clay soils, dark brown sand, and rocky soils, often in shaded areas under stones or simply with a bare hole in the ground. Nest chambers are typically shallow, found within a few inches of the surface, though some go deeper. They often have multiple entrances that become visible after rains when workers bring out soil pellets [6].

For captive care, a naturalistic setup with a soil-filled container works best. You can use a Y-tong (acrylic) nest with a soil chamber, or a test tube setup with a soil-filled secondary chamber. The key is providing moist substrate that holds humidity without becoming waterlogged. They prefer multiple connected chambers and will organize their nest similar to wild colonies. Keep the nest in a dark location, these ants strongly prefer shaded, cool chambers and will avoid direct light. A small water reservoir connected to the soil helps maintain long-term humidity without flooding.

Feeding and Diet

In the wild, Camponotus americanus is an omnivore that feeds on honeydew from aphids, small insects, and various baits. They are known to tend aphids on trees and have been observed preying on the red oak borer (Enaphalodes rufulus). Workers are attracted to protein baits like peanut butter and can be found foraging on the soil surface and in vegetation during daylight hours (09:00-20:00) [1]. They are also reported as nocturnal omnivores that tend scale insects like the magnolia scale [3].

For captive colonies, offer a varied diet: sugar water or honey constantly, protein sources like mealworms, crickets, or other small insects 2-3 times per week. They are not particularly aggressive predators but will accept most standard ant foods. Since they are forest specialists, they may prefer slightly cooler conditions when foraging, consider placing food in a cooler area of the outworld. Remove uneaten protein after 24-48 hours to prevent mold.

Temperature and Seasonal Care

Camponotus americanus is a forest species that prefers cooler nest conditions. Research shows they tend to occupy relatively cool chambers even in warm sites, making them somewhat unusual among ants [5]. Keep the nest area at 20-24°C, avoid overheating as this species is relatively intolerant of warming [5]. Room temperature (around 21-22°C) is ideal.

This species requires a winter hibernation period. In the wild, sexuals (alates) are produced in summer and overwinter as adults in the nest, with nuptial flights occurring in late spring (April-May in most of their range) [6][1]. Provide a cool period around 10-15°C for 2-3 months during winter. Reduce feeding during this time and keep the colony relatively undisturbed. In spring, resume normal temperatures and increase feeding as the colony becomes active again.

Behavior and Defense

Workers of Camponotus americanus are relatively calm compared to some ant species. When disturbed, they react quickly and will carry brood to safety, but they are not particularly aggressive toward keepers. Their primary defense mechanism is spraying formic acid, when threatened, they lift their body and bring the abdomen forward to spray [2].

They are foragers that rely on a few highly capable individuals rather than mass recruitment. Research shows they have high individual discovery ability, when they find food, they can recruit others, but they don't use the massive swarm recruitment seen in some species [7]. Workers are active during the day but are also reported as nocturnal. They prefer forest habitats and are sensitive to environmental changes, they are considered a forest specialist species [5].

Health Concerns and Parasites

One important concern for this species is infection by the zombie fungus Ophiocordyceps unilateralis sensu lato. This fungus has been documented infecting C. americanus in the eastern United States, particularly in South Carolina [8]. The fungus manipulates infected ants to bite onto twigs before killing them, then produces spores from the dead ant. While this is primarily a concern for wild colonies, if you collect wild-caught ants, watch for signs of infection. Additionally, they host the endosymbiotic bacterium Candidatus Blochmannia which aids in nutrition [9]. This is a normal part of their biology and not a concern for keepers.

Frequently Asked Questions

How long does it take for Camponotus americanus to have first workers?

Expect first workers (nanitics) in about 6-8 weeks at optimal temperature (around 21-24°C). This is typical for Camponotus species. The first workers will be smaller minors, majors develop later as the colony grows.

Can I keep Camponotus americanus in a test tube?

Yes, test tubes work for founding colonies. However, since this species naturally nests in soil, you may want to provide a soil-filled secondary chamber or transition them to a naturalistic setup once the colony establishes. Keep the tube dark and undisturbed during founding.

What temperature do Camponotus americanus need?

Keep them at 20-24°C. This is a forest species that prefers cooler nest conditions, avoid overheating. Room temperature is typically ideal. They are relatively intolerant of warming according to research [5].

Do Camponotus americanus need hibernation?

Yes, they require a winter rest period. Provide 2-3 months at 10-15°C during winter. In the wild, alates overwinter in the nest before spring mating flights [6]. Reduce feeding during this period.

Are Camponotus americanus good for beginners?

They are medium difficulty, not the easiest but not the hardest. Their soil-nesting behavior is unusual for carpenter ants, which takes some getting used to. They are slower growing than some species but generally hardy once established. Their need for winter hibernation adds an annual care cycle to manage.

How big do Camponotus americanus colonies get?

Colonies can become large, likely several thousand workers at maturity. They have strongly polymorphic workers with distinct majors (around 10mm) and smaller minors. Growth is moderate, expect several years to reach large colony size.

Why are my Camponotus americanus dying?

Common causes include: overheating (they prefer cool chambers), improper humidity (too wet causes mold, too dry causes desiccation), disturbance during founding (keep dark and untouched), or parasite infection from wild-caught colonies. Also ensure they have proper winter hibernation, colonies that don't hibernate often decline.

What makes Camponotus americanus different from other carpenter ants?

Most Camponotus nest in wood, but C. americanus is unusual in that it nests primarily in soil, one of the few soil-nesting species in the subgenus Camponotus [1]. They also prefer cooler, shaded nest chambers and are forest specialists. They have distinctive shiny bodies with erect hairs on the cheeks of majors.

References

Creative Commons License

This caresheet is licensed under CC BY-SA 4.0 .

Literature

Loading...

Loading products...