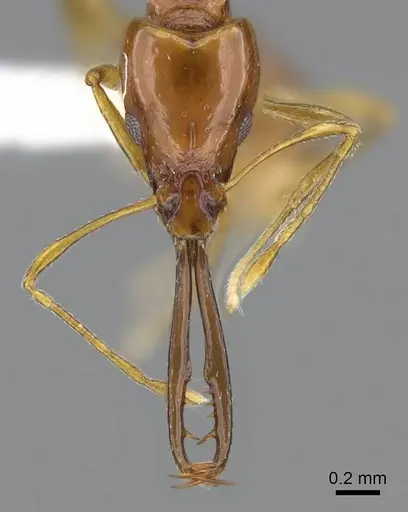
Scientific illustration of Acanthognathus teledectus ant - showing key identification features including head, thorax, and gaster.

Acanthognathus teledectus

monogynous Non-Parasitic Queen No Gamergate
Scientific Name
Acanthognathus teledectus
Tribe
Attini
Subfamily
Myrmicinae
Author
Brown & Kempf, 1969
Distribution
Found in 7 countries
AI Identifiable
try →

Acanthognathus teledectus Overview

Acanthognathus teledectus is an ant species of the genus Acanthognathus. It is primarily documented in 7 countries , including Colombia, Costa Rica, Ecuador. Detailed taxonomic data and occurrence records can be further explored via authoritative databases such as AntWeb or the Global Biodiversity Information Facility (GBIF).

Loading distribution map...

Status by country, from Kass et al. 2022 & Wong et al. 2023

Native Invasive Introduced (indoor) Intercepted Unknown
2000 - 2026

Acanthognathus teledectus

These ants are instantly recognizable by their extraordinary jaws. Workers have extremely long, slender mandibles that can open a full 180 degrees, wider than a straight line, and are armed with spiny teeth near the tips [1][2]. When hunting, they use a trap-jaw mechanism where the mandibles snap shut with incredible speed to impale prey [1]. The holotype worker was discovered in 1967 in the leaf litter of a Colombian rainforest, and despite searches, no other specimens were found at that location [3]. They represent one of the most specialized predatory ants in the Americas, yet remain one of the rarest, known from only a handful of specimens across Central and South America [4].

In the wild, they live in the thin humus layer just beneath leaf litter in lowland rainforests [3]. Workers are light reddish-brown with smooth, shiny bodies and narrow heads [2]. All workers are the same size (monomorphic), and colonies contain just one queen (monogynous) [5]. Their extreme rarity means almost nothing is known about their colony founding or development, making them one of the most challenging ants to keep in captivity.

Quick Summary

  • Difficulty: Expert
  • Origin & Habitat: Neotropical rainforests from Costa Rica to Peru, living in leaf litter and upper soil layers [3][6].
  • Colony Type: Single-queen colonies (monogynous) with monomorphic workers (all workers the same size) [5].
    • Colony: Monogyne
  • Size & Growth:
    • Queen: Unconfirmed, likely 4-5mm based on genus patterns.
    • Worker: Approximately 3-4mm, holotype measures show slender build with extremely elongated mandibles [2].
    • Colony: Likely under 50 workers, inferred from extreme rarity in collections (doubleton status in Ecuador) [4].
    • Growth: Slow
    • Development: Unknown, likely 8-12 weeks at 25-28°C based on related small Myrmicinae. (No direct development studies exist. Timeline inferred from similar trap-jaw ants.)
  • Antkeeping:
    • Temperature: 24-28°C stable year-round, tropical species requiring consistent warmth.
    • Humidity: High humidity required, keep substrate damp like rainforest leaf litter, with 70-80% relative humidity.
    • Diapause: No, tropical species that remains active year-round.
    • Nesting: Small, tight chambers in humid soil or leaf litter, naturalistic setup with decaying leaves and fine humus works best.
  • Behavior: Specialized trap-jaw predators that hunt using kinetic mandible strikes [1]. Workers likely spend long periods motionless waiting for prey. Small size requires excellent escape prevention with fine mesh barriers.
  • Common Issues: extreme rarity in the hobby means captive colonies are virtually nonexistent and founding behavior is completely unconfirmed., specialized diet of tiny live prey (springtails, mites) may be difficult to source consistently., require constant high humidity without waterlogging, risk of desiccation or fungal infections is high., delicate trap-jaw mandibles may be damaged if workers are handled roughly or kept in smooth plastic containers where they strike walls.

The Trap-Jaw Hunting Mechanism

Acanthognathus teledectus belongs to the trap-jaw ants, named for their spring-loaded mandibles. Workers can open their jaws a full 180 degrees or more, essentially flat open, revealing long, slender mandibles armed with two long and one short spiny teeth before the tips [1][2].

When hunting, they use what researchers call kinetic mode. The ant holds its mandibles open using a latch mechanism, then triggers them to snap shut with explosive speed when prey touches sensitive hairs on the mandible surface [1]. This strikes prey before it can escape, impaling it on the sharp teeth. In captivity, you would observe workers sitting motionless for long periods with jaws agape, waiting for small prey to wander close.

This hunting style means they need specific prey, tiny, soft-bodied arthropods like springtails, mites, or minute insects that can be pierced and held by the mandible teeth. Large or hard prey may trigger the strike but cannot be handled effectively.

Rarity and Conservation Context

You should know that Acanthognathus teledectus is one of the rarest ants in scientific collections. The original description was based on a single worker found in 1967 [3]. In Ecuador, researchers classified it as a doubleton species, meaning only two specimens were found across their entire study, indicating extreme rarity or cryptic habits [4].

This matters for keepers because: First, you will almost certainly never encounter this species for sale or trade. Second, if you somehow acquire a colony, conservation should be your priority. Every captive colony represents a significant portion of the known population. Third, the lack of specimens means basic biology, how queens found colonies, how fast they grow, what they eat specifically, remains completely unknown.

If you somehow obtain queens or workers, consider documenting everything and sharing with researchers, as captive observations could constitute new scientific data.

Housing and Humidity

Based on where they live in nature, thin humus under leaf litter in rainforests, you should recreate a humid, shaded floor habitat [3]. A naturalistic setup works better than standard formicaria.

Use a small container with 3-5cm of fine, humus-rich soil mixed with decaying leaf litter. The substrate should feel damp but not wet when squeezed. Add small pieces of rotting wood or bark for additional structure. Avoid tall, open spaces, these ants need low ceilings and tight spaces to feel secure.

Maintain humidity by lightly misting the substrate when the surface begins to dry, not on a fixed schedule. You need excellent ventilation to prevent mold in this humid environment, so use a well-ventilated lid with fine mesh (0.3mm or smaller) to prevent escapes while allowing air exchange.

Feeding Specialized Predators

As trap-jaw specialists, these ants likely refuse standard ant foods like honey water or large prey items. Their mandibles are designed to strike and hold tiny prey, not to process large insects or liquids.

You should offer small, live prey that moves enough to trigger the trap-jaw response. Springtails (Collembola) are likely ideal prey, they are the right size, soft-bodied, and active. Tiny soil mites or very small fly larvae may also work. Avoid large prey like crickets or mealworms, the ants cannot process them.

Place prey directly on the substrate near workers. You will know the hunting mechanism is working if you see workers with mandibles held wide open (180 degrees) waiting motionless, or if you observe the rapid snap when prey touches their jaws. If prey is ignored, it may be too large or the colony may not be hungry. [1]

Temperature and Seasonal Care

Coming from Central and South American rainforests, these ants need stable tropical temperatures year-round [6]. Keep them at 24-28°C with minimal fluctuation.

Use a heating cable or mat on one side of the nest to create a gentle gradient, but avoid overheating the humid substrate which can cause lethal condensation or mold. Because they are tropical, they do not need hibernation or cooling periods.

Monitor worker behavior to adjust temperature. If workers cluster tightly on the warm side, increase heat slightly. If they scatter and avoid the heated area, reduce temperature. Stable conditions matter more than exact degrees, rainforest floor temperatures change little between day and night.

Frequently Asked Questions

Can I buy Acanthognathus teledectus for my ant farm?

You will almost certainly not find this species available. It is one of the rarest ants in the world, known from only a handful of specimens in scientific collections [4][3]. If you are interested in trap-jaw ants, consider more available species like Odontomachus (also called trap-jaw ants) which are occasionally available from specialized breeders.

What do Acanthognathus teledectus eat?

They are specialized predators that hunt using trap-jaw mandibles to strike tiny prey [1]. You would need to feed them very small live prey like springtails, mites, or minute insects. They likely cannot process large prey or liquid sugars like honey water due to their specialized mouthparts.

How big do Acanthognathus teledectus colonies get?

Nobody knows for certain, but they likely stay small, possibly under 50 workers. Their extreme rarity in scientific surveys (sometimes only 2 specimens found in entire studies) suggests either very small colonies or extremely cryptic nesting habits [4].

What temperature do Acanthognathus teledectus need?

Keep them at 24-28°C stable year-round. They come from tropical rainforests and do not tolerate cold or temperature fluctuations. Use a heating mat on one side to create a gentle gradient.

Do Acanthognathus teledectus need hibernation?

No. They are tropical ants from Central and South America and remain active year-round. Do not cool them for winter.

Can I keep multiple Acanthognathus teledectus queens together?

No. This species is monogynous, meaning colonies contain only one queen [5]. Combining multiple queens would likely result in fighting and death. Even if you found multiple queens, they should be housed separately.

How long until Acanthognathus teledectus get their first workers?

The egg-to-worker timeline is completely unknown for this species. Based on similar small Myrmicinae ants, it might take 8-12 weeks at 25-28°C, but this is purely an estimate. No one has documented colony founding in this species.

Why are my Acanthognathus teledectus dying?

If you somehow have these ants and they are dying, check three things immediately: humidity (they need damp substrate without waterlogging), prey size (must be tiny, springtails or mites, not large insects), and temperature (must stay tropical-warm 24-28°C). Their extreme rarity means captive care protocols are not established, so mortality is unfortunately likely.

What is the best nest type for Acanthognathus teledectus?

A naturalistic setup with fine humus soil and leaf litter works best, mimicking their rainforest floor habitat [3]. Standard acrylic nests with large chambers are unsuitable. They need small, tight spaces with high humidity and places to sit motionless while hunting.

References

Creative Commons License

This caresheet is licensed under CC BY-SA 4.0 .

Literature

Loading...

Loading products...